Болезни груши и вредители. Вредители груши
- Болезни груши и вредители. Вредители груши
- Болезни груши ржавчина. Ржавчина груши: описание
- Болезни груши картинки. Как нужно бороться с болезнями садовых груш?
- Болезни ствола груши. Стволовые и корневые болезни груши и их лечение, фото
- Болезни груши скручиваются листья. Почему на груше скручиваются листья и чем обработать дерево
- Болезни груши листья. Болезни плодов груши и меры борьбы с ними
Болезни груши и вредители. Вредители груши

Болезни и вредители груши способны нанести серьезный вред растению. Различного рода насекомые ослабляют иммунитет дерева и оголяют раны, что приводит к быстрому заражению бактериями и спорами грибов. Поэтому борьба с вредителями важна не меньше, чем с инфекциями.
Галловый клещ
Этот вредитель располагается на верхней стороне листа, высасывая из него питательные вещества. Колонии клеща представляют собой вздутия красного или светло-зеленого цвета. Через некоторое время эти очаги чернеют и засыхают. На зиму клещи прячутся в почки, а за летний сезон способны в несколько раз увеличить свою численность, что приводит к поражению новых участков растения.

Если вредитель сильно распространился, то это выльется в засыхание почек, прекращение роста побегов, снижение иммунитета.
Уничтожают вредителей груши на листьях сразу после распускания почек. Также обработка проводится в осенний период, когда весь урожай уже собран. Подойдут препараты Фуфанон, Кемифос, Карбофокс.
Тля зеленая
Насекомое сосущего типа, которое мигрирует в процессе своего размножения. Эти зеленовато-бурые насекомые весной или в начале лета перемещаются с груши на зонтичные растения, а осенью, увеличив свою численность, снова возвращаются на дерево. Симптомы сложно перепутать с воздействием других видов тли, в данном случае молодая листва перестает развиваться и складывается вдвое, по центральной жилке.

Если численность тли большая, то листья засыхают. В конце сезона вредитель располагается на нижней части листовой пластины, там же сосет сок. Пораженные участки проявляют себя оранжевыми пятнами. Желая знать, чем опрыскать грушу от вредителей, долго искать ответ не придется. Практически все известные насекомые уничтожаются одним набором препаратов: Фуфанон, Кемифос, Искра, Актелик и другими аналогами.
Листоблошка грушевая
Также относится к классу сосущих насекомых. Листоблошка имеет бурое тельце и непрозрачные крылья, сложенные на спине. Зимние морозы вредитель переживает в коре и под опавшими листьями. С приходом тепла они начинают высасывать сок из почек, после чего откладывают яйца на ветках и молодых побегах. Когда листья уже распустились, яйцекладка продолжается по центральной жилке.

В процессе развития личинки пьют сок из листа, ножки цветоноса, побега и даже плода. Вместе с этим выделяется медвяная роса, которая при достижении достаточного количества полностью покрывает личинку, тем самым предотвращая негативное воздействие факторов окружающей среды. За один сезон может вырасти порядка 4-5 поколений. Увеличение численности приводит к появлению сажистого грибка, который, в свою очередь, требует применения определенных препаратов против болезней груши.
Без лечения дерево замедляется в развитии, снижается или полностью пропадает урожайность, ослабевает морозостойкость. Для борьбы применяются те же средства, что и от тли.
Тля-листовертка
Небольшое насекомое, которое высасывает сок из растения. Тело этой разновидности тли темно-зеленое или желто-зеленое. Личинки у нее темно-зеленые, размером 0,5 мм. На зиму яйца откладываются около почек, они черные и блестящие. С наступлением тепла вредитель атакует почки, потом переходит на листья и побеги. Поврежденная листва скручивается вдоль центральной жилки, там скапливается много насекомых, которые покрыты липкой субстанцией.

Размножается тля-листовертка быстро, за один сезон на свет появляется 10-15 поколений. При большой численности насекомые покрывают побеги полностью, а липкие выделения стекают на землю и по стволу. Вместе с этим приостанавливается рост поврежденных веток, отсутствует закладка плодовых почек, деревья плохо переносят морозы.
Борьба сводится к опрыскиванию такими средствами: Фуфанон, Кемифос, Актелик, Искра и подобными.
Болезни груши ржавчина. Ржавчина груши: описание
Распознать поражение грибком несложно даже на начальных стадиях его пагубной деятельности.
Признаки поражения
Первые симптомы заражения груши видны уже ранней весной, когда распускаются листья. На верхней части пластинок отчетливо заметны красно-оранжевые пятнышки, часто окаймленные красной полосой.
Второй признак, говорящий о заболевании груши — утолщение молодых побегов, замедление их роста.
Растрескавшаяся кора ствола и крупных веток — третий основной признак разрушительной работы пукциниевого грибка.
Как развивается болезнь
Развитие ржавчины происходит быстро. В первые несколько дней поражение проявляется в виде мелких пятен, которые разрастаются, захватывая всю поверхность листьев груши. На следующем этапе появляются серые разводы, которые часто принимают за плесень.
Далее на нижней части пластин образуются конусовидные бугорки с заостренной верхушкой, окрашенные в характерный красно-коричневый, ржавый цвет, что и дало название заболеванию. Груша становится опасной для своих соседей: в этих образованиях зреют споры пукциния, которые через короткий срок рассеются по всей округе и начнут поражать другие растения.
Конечный этап — больные листья засыхают, опадают на землю, занося в нее оставшихся возбудителей. При значительных поражениях груша утрачивает иммунитет и засыхает до наступления осени.
Споры грибка вызревают несколько раз за сезон и легко переносятся ветром. Садовым культурам необходимо постоянное внимание, чтобы предотвратить их дальнейшее поражение ржавчиной.

Благоприятные условия для развития ржавчины
Особенность ржавчинного грибка — для его развития идеальны именно те условия, которые требуются груше: тепло и влага. Ночные понижения температуры, характерные для последней трети лета, способствуют формированию зимних спор, пережидающих холода и активизирующихся с наступлением весны.
Обилие осадков или частое дождевание плодовой груши ускоряет течение болезни, создает благоприятную среду для развития значительного количества спор.
Третий благоприятный фактор — загущенные посадки, ошибки обрезки или пренебрежение этой процедурой. Плохое проветривание — друг грибковых заболеваний всех видов.
Опытные садоводы обращают внимание и на состояние приствольного круга. Обильно растущие сорняки, если и не болеют сами, то охотно становятся временным пристанищем возбудителя ржавчины. При появлении первых признаков болезни нужно обязательно убрать и сжечь мульчирующий слой (если он есть). Затем почву перекапывают и проливают 1 % раствором медьсодержащих веществ.
Совместные посадки плодовых деревьев и растений, которые быстро и легко заражаются ржавчиной, многократно усиливают опасность.
Болезни груши картинки. Как нужно бороться с болезнями садовых груш?
Для начала ознакомьтесь с описанием и способами лечения различных болезней груш.
Бурая пятнистость груши.


Возбудитель — гриб Phyllosticta pirina. На листьях появляются бурые, округлые или неправильной формы пятна, которые часто сливаются между собой. Признаки этой болезни груш напоминают ожоги. Со временем сформировываются мелкие точечные бурые плодовые тела зимующей стадии. Листья желтеют и преждевременно опадают, что сказывается на вызревании древесины побегов и их морозоустойчивости. При описании этой болезни груш обязательно нужно отметить, что инфекция сохраняется в опавших листьях.
Меры борьбы. Опрыскивание деревьев весной до цветения и сразу после его окончания 1 %-ой бордоской смесью. Такжедля борьбы с этой болезнью груш можно опрыскивать деревья препаратами ХОМ и Абига-Пик. Обязателен сбор и удаление опавших листьев.
Серая гниль груши.
Возбудитель — гриб Botrytis cinerea.
Как видно на фото, признаком этой болезни груш является появление крупных бурых пятен без окаймления на листьях:


В годы с холодным и дождливым летом такие пятна появляются и на плодах, которые буреют и усыхают. При обилии осадков развивается дымчато-серое спороношение гриба. Со временем грибница подсыхает, и в ней сформировываются многочисленные мелкие округлые плодовые тела черного цвета. В сухую погоду пятна на листьях растрескиваются и выпадают, а плоды буреют и засыхают. Инфекция сохраняется плодовыми телами на опавших листьях и плодах и мицелием в коре побегов.
Меры борьбы. Использование здорового посадочного материала, соблюдение агротехники, сбор и уничтожение растительных остатков, прореживание загущенных посадок. Для лечения этой болезни груш эффективно опрыскивание деревьев препаратом скор или раек.
Парша груши.
Возбудитель — гриб Venturia pirina. На листьях с нижней стороны появляются темно-зеленые, постепенно буреющие бархатистые пятна.
Посмотрите на фото – при этой болезни листья груш желтеют и преждевременно опадают:


При заражении весной и в начале лета пятна крупные, позднее, при повторных перезаражениях — мелкие, малозаметные. Споры перезаражают завязи, молодые побеги, плоды. На побегах кора покрывается мелкими пузыревидными вздутиями, которые позднее разрываются под напором массы спор. Кора становится шероховатой и шелушится. Поражаются также черешки листьев, плодоножки и цветки, а плоды покрываются пятнами и становятся непригодными к употреблению. При массовом распространении парши снижается зимостойкость деревьев. Развитию болезни благоприятствует влажная холодная весна и обилие осадков летом. Гриб поражает только грушу. Инфекция сохраняется в растительных остатках.
Меры борьбы. Чтобы бороться с этой болезнью груш как можно более эффективно, необходимо собирать и уничтожать (возможно компостировать) опавшие пораженные листья. Опрыскивания деревьев, начиная с фазы зеленого конуса и при необходимости в летнее время, учитывая сроки ожидания, одним из препаратов: 1%-ная бордоская смесь, ХОМ, Абига-Пик, скор, раёк. Проще ориентироваться по срокам: до цветения и сразу после цветения.
Плодовая гниль груши.


Возбудитель – Monilia fructigena. Гниль развивается на плодах в виде небольших бурых увеличивающихся пятен. Постепенно плоды светлеют, размещаются и усыхают. На их поверхности развиваются светло-бурые подушечки спороношения, расположенные концентрическими кругами, споры которых постоянно заражают соседние плоды.
Распространению инфекции способствуют насекомые и затяжная холодная весна с обилием осадков. Инфекция сохраняется в плодах, а также в тканях коры однолетних побегов.
Меры борьбы. Опрыскивание деревьев при распускании почек и сразу после окончания цветения бордоской смесью или препаратами ХОМ, Абига-Пик. При сильном заражении этой болезнью опрыскивание садовых груш повторяют осенью после сбора и уничтожения плодов.
Посмотрите фото болезней груш, описание которых представлено выше:




Далее вы сможете увидеть фото вредителей груш и узнать о методах борьбы с ними.
Болезни ствола груши. Стволовые и корневые болезни груши и их лечение, фото
Заболевания груши и методы борьбы очень отличаются, как и профилактическая обработка для защиты от появления заболеваний. Поражение корней или коры распознать тяжелее всего, так как при первых проявлениях болезни груши чернеют листья, но это не означает, что причина именно в них.
Черный рак груши (лат. Sphaeropsis malorum Peck)
Народное название черного рака груши - "антонов огонь", проявляется в течение нескольких лет. Поражает кору ствола и скелетных веток - появляются небольшие трещинки, которые быстро увеличиваются в размерах, кора постепенно разрывается и обнажается камбий.
По краям трещин можно обнаружить характерные бурые пятна. Такие пятна похожи на мокрые, на самом деле являются открытыми ранами, в которые легко могут попасть болезнетворные микробы или споры грибковых заболеваний.

Пораженную кору необходимо срезать острым ножом, захватывая часть здоровой. Рану обрабатывают медным купоросом и замазывают глиной, смешанной с коровяком. Осенью опавшую листву необходимо утилизировать. Высоким иммунитетом обладают такие сорта груши: Августовская роса, Самарянка.
Цитоспороз (лат. Cytospora)
Возбудителем цитоспороза груши является гриб Cytospora leucostoma. В народе данное заболевание носит название "стволовая гниль". Кора в местах поражения приобретает красно-коричневый оттенок и начинает засыхать. Причиной возникновения заболевания могут быть солнечные ожоги и морозобоины.

Пораженная кора, как и при черном раке, срезается и замазывается глиной. Необходимо регулярно удалять сухие и поврежденные ветки, проводить побелку стволов на зиму. Выбирая такие сорта груши как Москвичка и Январская, можно забыть о Цитоспорозе.
Бактериальный ожог
Одно из самых опасных заболеваний груши - бактериальный ожог семечковых культур. Именно оно оказывается причиной при выяснении - почему чернеют листья у груши, лечение при этом необходимо комплексное. Возбудителем заболевания являются бактерии Erwinia amylovora, распространителями которых могут быть насекомые, ветер или дождь.
Первые признаки болезни проявляются, когда груша зацветает. Соцветия быстро увядают и становятся темного коричневого цвета. Листья скручиваются и чернеют, но не осыпаются. Побеги и кора начинают отмирать.

Начавшись на одной ветке, заболевание может очень быстро поразить все растение. Неустойчивые к бактериальному ожогу сорта груши часто погибают, а устойчивые - переносят его в той или иной мере тяжести, и через год-два могут восстановить свою продуктивность. Довольно легко переносят бактериальный ожог Муратовская, Январская и Московская груша.
При обнаружении бактериального ожога необходимо немедленно обрезать пораженный побег, захватывая 15-20 см здоровой древесины, и сжечь. Садовый инструмент тщательно дезинфицировать после окончания работ.
Часто садоводы места среза обрабатывают антибиотиками (2-3 таблетки на 1 л воды). Полученным раствором также опрыскивают всё растение. С наступлением вегетации проводят многократную обработку бордоской смесью, до девяти раз за сезон.
Болезни груши скручиваются листья. Почему на груше скручиваются листья и чем обработать дерево
Красавица-груша, не так давно произраставшая только в южных регионах, сегодня с успехом украшает сады даже в северных широтах. Но в силу своего южного происхождения, эта культура часто подвергается заболеваниям, борьба с которыми становится первостепенной задачей садовода. Львиная доля недугов проявляется на листве – листья груши закручиваются в лодочку. Вот об этой напасти мы и будем говорить сегодня.
Основные причины
Если листья у груши скручиваются в трубочку, а впоследствии чернеют и опадают, причин, отчего так происходит, может быть несколько:
- дереву не хватает питательных веществ;
- оно испытывает недостаток влаги;
- растение поражено грибковой или бактериальной инфекцией;
- груша стала жертвой вируса;
- дерево подверглось атаке вредителей.
Чтобы наверняка понять, почему листики скручиваются и болеют, понадобится внимательный осмотр дерева. В отдельных случаях ситуацию может спасти обычная обработка защитным составом, но иногда требуется кардинальное решение, вплоть до вырубки груши.
Недостаток питания (в частности, кальция) выражается в потемнение краев листочка, который начинает скручиваться с верхушки. Иногда молодым деревьям не хватает бора, тогда листья чернеют и сворачиваются, а молодые ветки останавливаются в развитии. Если дереву не хватает магния или фосфора, страдают в первую очередь нижние листочки: они мельчают, закручиваются и опадают. А когда плодовой культуре остро недостает калия, листва приобретает как бы гофрированный вид, на поверхности появляются бурые полосы, а сами листочки закручиваются.
Иногда бывает сложно отличить проявления недостатка микроэлементов от развития инфекционных заболеваний. Здесь вас должно насторожить отсутствие положительной динамики после проведения листовой подкормки.
К вирусам относят такой недуг, как бороздчатость ствола: на дереве появляются трещины, сквозь которые патогенная микрофлора проникает внутрь дерева, нарушая естественные обменные процессы.
Бактериальная микрофлора поступает в растение вместе с дождевой водой, проникая внутрь сквозь имеющиеся механические повреждения на поверхности ствола. В этом случае не только листья заворачиваются и болеют, увядают завязи, а молодые плоды покрываются бурыми пятнами. Примечательно, что взрослое дерево, пораженное бактериальной инфекцией, выглядит как обгоревшее. А если заражается саженец младше 2–3 лет, он неминуемо погибает.
Еще один бич плодовых деревьев – грибок во всех его проявлениях. О его появлении свидетельствуют характерные бурые пятна на поверхности листьев, постепенно распространяющиеся на плоды.
И, разумеется, насекомые. Результаты их жизнедеятельности также сказываются на состоянии листьев не самым лучшим образом: так, от набегов колоний тли они сворачиваются в бесформенный комочек. Это светло-салатовое миниатюрное насекомое способно полностью лишить взрослое дерево соков.
Лечение дерева
Что делать, если на вашей любимой груше скручиваются листья? Чем обработать дерево, чтобы спасти от гибели? Порядок ваших действий будет напрямую зависеть от выявленных причин, по которым свернулись листья. Ранней весной нужно обработать сад бордоской жидкостью. Можно в несколько этапов, чтобы уничтожить уже имеющихся паразитов и патогенную микрофлору, а также предупредить развитие новых поколений. Все скрутившиеся листочки следует полностью удалить, чтобы они не распространяли инфекцию дальше. Если признаки заболевания успели распространиться и на ветки, от них также следует избавиться.
Для борьбы с грибковыми инфекциями эффективны минеральные удобрения, используемые для листовых подкормок – мочевина, хлористый калий. На протяжении лета можно периодически обрабатывать растение смесью инсектицида и фунгицида, например, «Актеллик» и «Скор». Не последнюю роль в борьбе с недугами играет регулярная омолаживающая обрезка.
Не забывайте также убирать всю опавшую листву перед зимовкой.
Профилактика
Но лучше, когда признаков болезни еще нет, позаботиться о профилактике, и не допустить развития недуга. Чтобы листья не сворачивались, достаточно выполнять несложный набор действий:
- обрабатывать грушу специальными защитными препаратами;
- проводить регулярную обрезку;
- не нарушать режим полива и подкормок;
- убирать опавшую осенью листву;
- избавляться от дегенеративных завязей и плодов;
- каждую весну белить ствол.
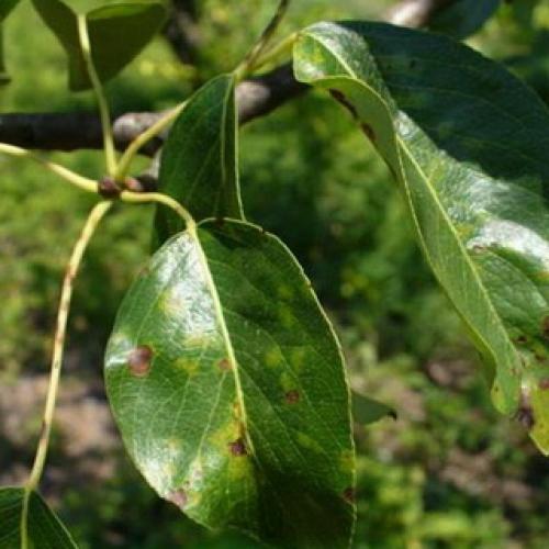
Болезни груши листья. Болезни плодов груши и меры борьбы с ними
Парша – грибковое заболевание, поражающее не только грушевые деревья, но и другие плодовые культуры, и в первую очередь яблони. Диагностировать болезнь можно уже на ранней стадии: на нижней стороне листьев, ветвях, цветоножках и плодах появляются желтовато-оливковые бархатистые пятна. На черешках листьев и молодых побегах возникают бугорки, постепенно превращающиеся в язвы, вмятины и трещины. В дальнейшем пятна на плодах преобразуются в темные участки со светлой каймой, на которых растрескивается кожура, а мякоть плодов твердеет. Если в момент поражения плод только начал формироваться, он остается недоразвитым и асимметричным.

Болезни плодов груши и меры борьбы с ними
Методы борьбы.В качестве профилактики ранней весной, до набухания на деревьях почек, грушу обрабатывают однопроцентной бордоской жидкостью. В дальнейшем этим же препаратом проводят трехэтапную лечебную обработку: в момент появления зелени, по розовым бутонам и после цветения. Не позволяйте кроне груши загущаться, поскольку парша прогрессирует именно там, куда нет доступа света и кислорода. Не забывайте регулярно убирать из-под груши павшие плоды и рыхлить почву в приствольном круге. Если в вашем регионе парша распространена, а вы только собираетесь посадить в своем саду грушевое дерево, отдайте предпочтение саженцам устойчивого к заболеванию сорта, например, таким, как Январская, Русановская или Муратовская.
Плодовая гниль, или монилиоз, проявляется на плодах косточковых культур бурыми пятнами, на которых впоследствии образуются наросты, содержащие споры гриба. В результате развития монилиоза мякоть плодов становится рыхлой, гниет и теряет вкусовые качества. Некоторые плоды опадают, часть из них засыхает и остается висеть на дереве. Активной фазы болезнь достигает во второй половине лета, перед созреванием плодов, особенно если стоит влажная, жаркая погода.
Методы борьбы. Пораженные монилиозом плоды нужно немедленно с дерева убирать и сжигать, чтобы заболевание не поразило соседние деревья. Так же следует поступать и с опавшими с груши плодами. Не забывайте проводить регулярную прочистку кроны, чтобы воздух и свет могли проникать в самую ее глубину. Весной, до начала сокодвижения, и осенью, после листопада, деревья в целях профилактики обрабатывают однопроцентной бордоской жидкостью, препаратами ХОМ или известковым молоком, для чего 1 кг извести растворяют в 10 л воды. Обратите внимание на то, что сорта груши Черемшина, Медовая и Осенняя мечта к монилиозу устойчивы.
Сажистый грибок во второй половине лета покрывает плоды и листья груши черным налетом, напоминающим слой сажи. В отличие от пятен парши, налет сажистого грибка легко стирается. Первыми грибок поражает ослабленные растения, страдающие от недостатка в питании минералов и заселенные вредителями: падь, или медвяная роса – экскременты насекомых – является благоприятной средой для сажистого грибка.
Методы борьбы. Уничтожают инфекцию препаратами Калипсо или Фитоверм, подавляющими рост грибка. Необходимо следить за тем, чтобы на груше не паразитировали такие вредители, как тля¸ белокрылки, медяницы и щитовки. Из устойчивых к инфекции сортов известна груша Кафедральная.