Почему виноград не плодоносит. Почему не плодоносит виноград
- Почему виноград не плодоносит. Почему не плодоносит виноград
- Как заставить цвести виноград. Причина № 1 — куст винограда с функционально-женским типом цветка
- Почему на винограде нет завязей. Слабое плодоношение
- Виноград без гроздей. Опыление
- Как заставить виноград плодоносить. Почему виноград не плодоносит: основные причины
- Виноград цветет, но не завязывается. Что делать при осыпании завязи винограда
Почему виноград не плодоносит. Почему не плодоносит виноград
Глупости какие - если ему хорошо - расти и плодоносить будет замечательно. Это ведь не овощ перекормленный удобрениями до зеленой массы.
Как заставить цвести виноград. Причина № 1 — куст винограда с функционально-женским типом цветка
Возможно, растет куст винограда с функционально-женским типом цветка. Собственная пыльца у таких сортов практически стерильная и для опыления им необходима жизнеспособная пыльца обоеполых сортов винограда. Если вблизи вашего куста нет сортов-опылителей или сроки цветения у данного куста и кустов-опылителей не совпадают, то цветки остаются неопыленными и в лучшем случае могут образоваться бессемянные ягодки (горошение).
Это явление называется партенокарпия (развитие ягоды из околоплодника без оплодотворения). В книге “Энциклопедия виноградаря” М.М. Темного (Ростов-на-Дону, 2003 г.) описывается интересный случай, когда на одном винограднике в Ростове случайно оказалось посажено около 15 кустов одного сорта с функционально-женским типом цветка (Молдавский черный). Обоеполых сортов даже по соседству не было. Несколько лет эти кусты не давали урожая и владелец участка не знал причины. Только после искусственного опыления кустов пыльцой, собранной на другом винограднике с обоеполых сотов, был впервые получен высокий урожай полноценных красивых гроздей.
На виноградниках любителей обычно повсеместно растут обоеполые сорта вперемежку с сортами, имеющими женский цветок, и для нормального опыления последних этого бывает вполне достаточно.
Однако опытные виноградари-любители постоянно ищут новые способы улучшения продуктивности однополых сортов, так как именно такие сорта обычно обладают рядом очень ценных хозяйственных признаков: как правило, имеют крупные грозди и красивые крупные ягоды с высокими вкусовыми качествами. Отказываться от них, конечно, не стоит.
Виноградарь Анатолий Петрович Проценко из Млиева Черкасской области практикует способ высаживания сорта с женским цветком с сортом-опылителем в одну яму на расстоянии 30 см один от другого. Кусты формирует с тремя рукавами и затем подвязывает к 2-плоскостной V-образной шпалере таким образом, чтобы рукав одного сорта располагался между двумя рукавами другого на каждой плоскости шпалеры. По его информации, опыление осуществляется настолько хорошо что отпадает необходимость в искусственном до опылении или применении других приемов стимуляции опыления. Хотя виноградарь считает однополость большим недостатком сорта и всегда это учитывает при приобретении новинок.
Почему на винограде нет завязей. Слабое плодоношение

Отсутствие цветения может справоцировать неправильный уход
Если цветение винограда было пышным, но количество урожая не ответило количеству побегов, анализируют другие нюансы. Возможные причины — неправильный уход за виноградом или особенности сорта.
Как следствие низкой урожайности отдельно выделяют низкую продуктивность побегов. Сорт в таком случае лучше заменить на другой. Для этого используют перепрививку более плодовитого винограда на готовый пень или помещают саженец на место, где 2-5 лет назад полностью была выкорчевана неподходящая лоза.
Чередование новых кустов со старыми приводит к угнетению их роста последними. Перепрививать следует только совместимые между собой сорта, чтобы было большее количество гроздей.
Недостаточное количество света и тепла в месте произрастания виноградной лозы также приводит к появлению редкой завязи. Почва должна прогреваться до 28-32°С тепла. Чтобы обеспечить такие условия, кусты размещают на приземных формировках, размещают с северной стороны светоотражающие экраны, направленные на растения, полностью или частично укрывают их полиэтиленовой пленкой. Азотные удобрения для такой лозы убавляют.
Большое количество влаги в почве приводит к слабости соцветий в почках и к плохому вызреванию ягод в последующем, к их низкому качеству: водянистости, низкому уровню сахара, позднему созреванию. Чрезмерная аэрация губит всю лозу.
Цветение с наступающим после него бесплодием бывает вызвано и такими особенностями сортов:
- Неплодоносящий куст имеет цветение женского типа, опыление которого невозможно без сорта-опылителя. Чтобы проверить эту версию, пыльцу с плодоносящего куста переносят вручную на неплодоносящий. Завязавшиеся и созревшие грозди станут подтверждением, что лозу можно оставить, посадив рядом опылитель.
- Растение, не приносящее урожая, обладает мужским типом опыления. В этом случае искусственное опыление не даст ожидаемых результатов, однако такой куст имеет шанс стать хорошим подвоем для перепрививки.
- Иногда виноградная лоза с цветением по женскому типу соседствует с лозой-опылителем, но урожайность остается низкой. В таком случае наблюдают за временем цветения: часто эти периоды у растений не совпадают.
Если садовод не в состоянии вспомнить, какой сорт винограда не дает урожая, необходимо посадить универсальный опылитель, которым является любой вид кишмиша.
Почему виноградный куст растет а урожая нет?
Почему виноград цветет. а ягоды не завязываются
Холостые побеги на винограде. Почему почка не закладывает соцветие. Виноград 2017.
Виноград без гроздей. Опыление
Горошением садоводы называют образование мелких ягод на крупной грозди винограда. Новички часто переживают, что это заболевание и начинают пичкать растения различными химическими препаратами. В результате вместо помощи фруктовой лозе еще больше усугубляют проблему.
Цветы винограда бывают:
- обоеполые;
- женские;
- мужские.
Если у растения длинный пестик и тычинки, то такой вид не нуждается в дополнительном опылении. Короткие органы размножения акцентируют внимание виноградаря на то, что фруктовая лоза самостоятельно провести процедуру осеменения не сможет.
Естественное опыление и формирование гроздей происходит при жаркой погоде с низкой влажностью. Если в июне за окном дожди и туманы, а температура не поднимается выше +15 градусов, тогда растение не сможет нормально провести процедуру и в результате садовод получает много мелких ягод на грозди. Пыльца полностью смывается с рыльца и осеменение не происходит.
Губительна для опыления и слишком жаркая, сухая погода, когда ветер практически не колышет растения. В этом случае пыльца также не может нормально прилипнуть к рыльцу, поэтому все усилия винограда проходят даром.
Идеальные климатические условия для цветения фруктовой лозы:
- отсутствие осадков;
- атмосферная температура не ниже +15 и не выше 30 градусов;
- легкий ветерок.
Период осеменения длится 14 дней, в течение которых растение открывает цветы и нуждается в распространении пыльцы. Опытные садоводы высаживают вблизи от виноградников медоносные травы, привлекающие пчел. Собирая нектар с цветов, насекомые с удовольствием оплодотворят фруктовую лозу.

Пчела вылетает на опыление только в теплую и безветренную погоду
Профессионалы с многолетним опытом не желают зависеть от капризов природы, поэтому часто берут ответственность за опыление в собственные руки. Проблема мелких ягод на винограде решается при помощи специального устройства. На деревянную фанерную лопатку (15-20 см) прибивают пушистый животный мех. Легкими и аккуратными движениями пыльцу от одной грозди переносят на другую. Такую процедуру проводят каждые 3 дня с утра.
Помните: при осадках мероприятия отложите до лучших погодных условий. После работы мех на устройстве тщательно промывают и просушивают. Хранение проводят в плотных полиэтиленовых пакетах.
Существуют гормональные препараты, которые облегчают опыление у винограда и помогают воспрепятствовать появлению мелких ягод. Однако опытные садоводы не рекомендуют лишний раз обрабатывать растение химикатами. Фруктовой лозе помогают привлечением насекомых-опылителей. Для этого под виноградом расставляют сладкий сироп из:
- жмени соцветий лианы;
- 2 стаканов сахара;
- 1 л воды;
- половине чайной ложки меда.
Утром блюдца с приманкой выставляют под растениями. Помните: все емкости прикрывают тонкой марлей или мхом, так как пчелы предпочтут более легкую добычу и не займутся опылением.
В крупных виноградных хозяйствах делают смешанные посадки самоопыляющихся и обоеполых растений. Улучшение качества оплодотворения после цветения отмечается даже у самых капризных и склонных к горошению сортов.
Как заставить виноград плодоносить. Почему виноград не плодоносит: основные причины
Не может плодоносить виноград, который не цветёт, а это может быть вызвано:
- заболоченностью грунта;
- избытком влаги в воздухе в связи с дождливой погодой;
- запоздалыми заморозками или плохим укутыванием лозы на зиму;
- сильной обрезкой однолетней лозы, на которой развиваются плодоносящие побеги.
Может случиться, что цветение было обильным, а урожай всё равно скудный или отсутствует.

Причинами того, что виноград не плодит, могут быть:
- перекармливание органическими удобрениями;
- ошибки при обрезке;
- плохое опыление;
- кусты замёрзли;
- виноград растёт в неподходящем месте;
- лоза поражена вредителями или возбудителями болезней.
Переизбыток органики
Некоторые владельцы виноградников слишком увлекаются органическими удобрениями и ошибочно полагают, что чем больше органики, тем лучше урожай. На самом деле, такое изобилие приводит не к увеличению урожая, а к утолщению побегов, в результате они промерзают зимой.
Неправильная обрезка
Есть сорта винограда, у которых плодоносящая лоза развивается на 8–9-й почке, у всех сортов не плодоносят нижние 4 почки, поэтому короткое обрезание приведёт к отсутствию урожая.
Те побеги, которые окрашены в светло-жёлтый цвет, выросли в прошлом году, в зелёный — в этом году. Если обрезать прошлогоднюю лозу, урожая не будет.
Недостаточное опыление
В дождливое лето возникают трудности с опылением: намокшая пыльца не переносится ветром, в дождь прячутся насекомые, поэтому завязь может не образоваться. Может оказаться, что этот вид растения относится к женским, поэтому без опылителя не завязывается.

Подмерзание кустов
Зимние морозы и запоздалые весенние заморозки тоже могут погубить урожай, так как больше всего страдают плодоносящие побеги и почки. Вместо них вырастают побеги из спящих почек, но урожая они не дают вообще или дают мало.
Неправильно выбранное место посадки
Кусты, растущие на севере, получают мало света, поэтому дают плохой урожай. Произрастание с подветренной стороны тоже понижает урожайность, так как сквозняки губительны для растения. Расположение в низине может обозначать обилие грунтовых вод, подтапливание кустов, ягоды от этого не завязываются. Выбор места для посадки с засоленным грунтом — весьма распространённая ошибка, которая может погубить кустарник.
Важно! Грозди формируются только на тех лозах, которым исполнился 1 год.
Заболевания и вред насекомых
Ухудшают урожайность болезни и вредители винограда:
- паутинный клещ;
- филлоксера;
- ложнощитовка;
- войлочный клещ;
- листовёртка;
- мучнистый червец;
- осы и шершни;
- виноградный зудень;
- оидиум;
- милдью;
- антракноз;
- хлороз;
- альтернариоз;
- серая гниль;
- чёрная пятнистость;
- краснуха;
- бактериальный рак.

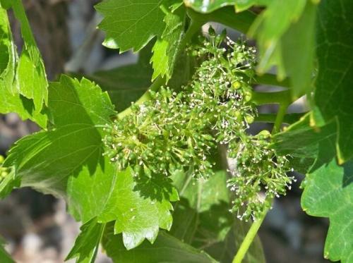
Виноград цветет, но не завязывается. Что делать при осыпании завязи винограда

Очень неприятно видеть на винограде наполовину осыпавшуюся завязь. Причин осыпания завязи может быть много. Рассмотрим основные причины и меры, которые нужно принимать в любом случае.
• Неблагоприятные погодные условия. Формирование завязи может прекратиться из-за чрезмерной влаги, ветра и неожиданно наступивших холодов. В этом случае выручат гибридные сорта, устойчивые к морозам. Хотя и они могут отреагировать на плохую погоду сбросом завязи.
• Это может происходить, если кусты неправильно подрезаны или подвязаны (при этом наблюдается загущенность растения и невозможность опыления).
• Такое происходит, если у данного сорта винограда тип цветка – исключительно женский. данный сорт винограда обладает функционально женским типом цветка. В этом случае рядом с ним надо поместить двуполый сорт-опылитель или привить на однополый сорт лозу с двуполыми цветками. Из трудного положения можно выйти, посадив между кустами с женским типом один куст, обладающий двуполым типом цветения.
• Определить какого вида сорт винограда можно. Если в момент цветения внимательно рассмотреть цветки, то видно, что у обоеполых сортов тычинки растут вверх. У однополых сортов тычинки загнуты вниз. Каждый сорт винограда имеет свои характерные особенности, которые нужно учитывать при покупке посадочного материала.
• Завязи могут осыпаться из-за недостатка в почве фосфора и калия или их переизбытке. Часто растению не хватает бора. Поэтому сбрызгивание по листу раствора борной кислоты (купить можно в аптеке)в воде может решить проблему. При этом нужно учитывать, что борная кислота хорошо растворяется в горячей воде.
• Решить проблему можно, подкормив куст монофосфатом калия (70 г на 10 л воды). Сюда же добавляется смесь из 15-20 г сернокислого магния (сульфата магния), 20 г борной кислоты (буры), 5-7 г марганца и 30-35 г сернокислого калия. Но нужно помнить, что каждое из этих веществ нужно развести отдельно и только потом добавить к рабочей смеси. Полученную смесь выливают в траншею глубиной 30 см, которую выкапывают вокруг куста, отступив от него на 60 см. Если нет монофосфата калия, можно использовать двухсуточную вытяжку суперфосфата. Для этого килограмм суперфосфата заливают 5 л чистой холодной воды. Для приготовления рабочего раствора литр вытяжки разводят в 10 л воды. Под пятилетний куст винограда выливают пять- шесть ведер смеси. Таким же раствором, но уменьшив дозу, можно опрыскать и листья. Для его приготовления берут по 10 г сернокислого цинка, сернокислого магния и борной кислоты, 3 г марганца, 20 г сернокислого калия или 25 г калимагнезии и литр вытяжки суперфосфата.
На некоторых сортах винограда начинают опадать уже поспевшие ягоды. Это означает, что пришло время собрать урожай. Такой особенностью обладают сорта Русбол и Украинка. Не стоит отбраковывать растения, из них получаются хорошие вина. Эти сорта также хороши для консервирования сока или компотов.
Для того, чтобы избежать проблем с завязью необходимо подобрать сорта, которые хорошо себя чувствуют в данном регионе и приспособлены к климатическим условиям. Хорошо бы покупать виноград у знакомых садоводов и посмотреть сорт на участке, расспросить об особенностях выращивания и ухода за данным кустарником.
Виноград любит подкормку золой, особенно на песчаных почвах. Золу можно предварительно развести в воде, но лучше использовать в сухом виде. Стакан золы распределить по поверхности почвы вокруг куста, разрыхлить почву.