На смородине ржавые листья, что делать. Народными методами
На смородине ржавые листья, что делать. Народными методами
Ржавчина на черной смородине – достаточно распространенное заболевание. Избавиться от него можно при помощи народных методов. Выгодно это лечение не только своей результативностью, но и бюджетностью, так как тратить средства на приобретение химические препаратов вовсе не обязательно. Оптимальный вариант – применение раствора из табачной пыли и чеснока.
Для приготовления табачной лечебной смеси вам понадобится 200 г табачной пыли, которую необходимо залить двумя литрами горячей воды. Использовать раствор сразу же не рекомендуется: для начала его нужно настоять как минимум в течение трех суток.
Когда лекарство настоится, смело опрыскивайте им кустарники смородины. Что же касается чесночного раствора, здесь также есть свой рецепт. Очистите от шелухи зубцы чеснока (понадобится примерно 1 стакан продукта). Их также заливают двумя литрами горячей воды и затем настаивают как минимум три дня.
Как правило, фермеры предпочитают использовать табачную и чесночную смесь в комплексе. Для этого нужно процедить готовые растворы, а после этого смешать. К полученной консистенции добавляют ложку жидкого мыла и ложку красного перца. Оставьте раствор на два часа, чтобы он еще немного настоялся. Готовым составом опрыскивайте смородиновые кустарники, и лучше всего этого сделать в качестве профилактического мероприятия, то есть осуществить процедуру еще до того, как на растении начнут распускаться первые почки.
Ни в коем случае не выбрасывайте жмых от процеженных растворов. Его нужно разложить под кустами смородины и немного присыпать песком. Закрепить результат вам поможет еще одно народное средство: раствор из луковой шелухи. Им нужно будет опрыскать кустарники примерно через две недели после проведения первой процедуры.
Данный народный способ уже в течение не одного десятка лет подтверждает свою популярность среди отечественных садоводов. Такое средство достаточно легко приготовить и применить, а потому является неплохим вариантом для любого садовода.
Пупырышки на листьях смородины. Почему на листьях смородины появились красные пузырьки и что с этим делать
Трудно себе представить плодово-ягодный сад без кустов чёрной, красной и белой смородины. Эта ягода не только имеет приятный сочный вкус, но и богата витамином С, железом, калием, пектином, антоцианами, эфирными маслами и органическими кислотами. Особенно много полезных веществ содержится в чёрной смородине. Поэтому даже владельцы небольших земельных участков стараются найти место хотя бы для нескольких кустов этой ягоды. Однако, чтобы вырастить смородину, придётся приложить определённые усилия и затратить энное количество времени на уход за кустарниками. Ведь полакомиться полезной и вкусной ягодой, а также её побегами и листьями любят не только люди, но и множество насекомых-вредителей.

Сегодня речь пойдёт о листовой смородинной галлице. Это разновидность галловой тли, которая в течение быстрого времени способна поразить всю листву на кустах смородины. Как правило, этот вредитель заводится на чёрной смородине, но иногда встречается и на белой. Листья в нижней части начинают вздуваться, затем появляются красновато-бурые пятна, которые разрастаются и образуют так называемые галлы – следы жизнедеятельности гусениц и личинок галлицы. Со временем листья желтеют и засыхают, а побеги смородины темнеют, трескаются и ломаются. Урон от прожорливой галлицы колоссальный: однолетние побеги теряют до половины урожая, двухлетние – ещё больше.

Смородина поражённая листовой галицей
При обнаружении поражённых листьев и побегов необходимо незамедлительно их удалить и сжечь. Важно своевременно удалять не только побеги с признаками жизнедеятельности вредителя, но и ненужные побеги. Это предотвратит образование дополнительных корневых отростков на которых развивается галлица. Поэтому проведение омолаживающей обрезки кустов весной и санитарной обрезки осенью строго обязательно.
Поражённые галлицей кусты смородины, если ещё не наступило цветение, надо обработать такими препаратами, как Актеллик, Фитоверм, Фуфанон, Битоксибациллин, Кинмикс, Кемифос, Каратэ или Карбофос. Если после опрыскивания вредитель продолжает проявлять активность, то при формировании на кустах завязей обработку следует повторить. Последнее опрыскивание необходимо произвести по окончании уборки ягод. Также в осенний период многие садоводы практикуют обливание кустов смородины кипятком. Это помогает в борьбе не только с галлицей, но и другими вредителями, например, с почковым клещом, о котором уже рассказывалось ранее.

Обливание смородины кипятком против вредителей
Вместе с обработкой кустов смородины, нужно опрыскать препаратами и почву под ними, так как она является средой обитания куколок галлицы. Если после проведения первичной обработки, в грунте приствольного круга снова были обнаружены коконы, необходимо произвести повторную обработку земли, выдержав интервал в полторы недели после первого опрыскивания. В борьбе с галлицей особое внимание следует уделять частому рыхлению почвы и удалению сорняков под кустами смородины и между ними. Важное значение имеет осенняя и весенняя перекопка грунта. Также помогает мульчирование приствольных кругов смородины, например, торфом. Этот агротехнический приём предотвращает вылет из почвы половозрелых насекомых-имаго.

Смородинная галица (взрослое насекомое)
Если всё же обнаружены летающие взрослые особи, то можно развесить по саду небольшие ёмкости с креолином, отпугивающим вредителей своим едким запахом. Кстати, раствором креолина до наступления цветения можно обработать и кусты смородины, поражённые гусеницами и личинками галлицы. Для этого нужно одну-две столовые ложки креолина размешать в полулитре отвара чистотела и опрыскать крону и приствольный круг ягодного кустарника.

Соблюдайте меры безопасности при работе с креолином
Кроме химических препаратов, садоводы для борьбы со смородинной листовой галлицей применяют отвары и настои золы, скорлупы грецкого ореха, чеснока, тысячелистника, ромашки полевой и белены ядовитой. Используют эти средства перед цветением, при образовании завязей или после уборки урожая.
Профилактику и борьбу с насекомыми-вредителями нельзя прекращать ни весной, ни осенью. Но также важно приобретать здоровые саженцы у проверенных продавцов. Перед посадкой не лишним будет провести термическую обработку посадочного материала водой, прогретой до 45оС. Длительность процедуры должна составлять около 15 минут. Если в прошлом сезоне смородина пережили нашествие листовой галлицы, то новый ягодник рекомендуется разбивать как можно дальше от пораженных кустов.
Пузырятся листья на смородине. Реверсия или махровость
Описание заболевания
Довольно распространённое заболевание смородины. Вызывается микоплазмами, которые представляют собой группу микроорганизмов промежуточную между бактериями и вирусами. Проявляется как на цветках, так и на листьях и в целом на густоте куста.
Чаще всего страдает чёрная смородина, у которой пропадает типичный запах. Сильнее всего от болезни страдают вначале бутоны, у которых кончики становятся огненно-красными, в дальнейшем у одних цветков венчик становится просто махровым, а у других лепестки и чашелистики перерождаются в чешуйки тёмно-красного или что чаще фиолетового цвета. Пестик становится нитевидным по форме. На больных кустах смородины распускание почек и бутонов происходит с задержкой на несколько дней. Из махровых цветков ягоды или совсем не образуются или получаются мелкими и уродливыми.
На листьях смородины заболевание реверсией проявляется так: листовые пластинки становятся трёхлопастными вместо пятилопастных, окраска их темнеет, жилок становится меньше, и они грубеют. Побеги становятся более тонкими, но общее количество их увеличивается, поэтому смородиновый куст загущается. Общие потери урожая от этого заболевания составляют от 30 до 100%.
Заболевание смородины коварно в том отношении, что со дня заражения куста до появления симптомов могут проходить годы, например до 4 лет. Поэтому в качестве маточников сорта куст рекомендуется рассматривать, только начиная с пятого года после посадки.
Одним из признаков реверсии также является отсутствие ягод на всём кусте смородины или на отдельных ветках. При дальнейшем развитии заболевания деление листовых пластин на лопасти исчезает, и листья своими очертаниями начинают напоминать берёзовые. Несвоевременное удаление поражённых болезнью кустов смородины может привести к заражению всех кустов, как на вашем участке, так и на соседских участках, с которых инфекция может перелететь на уже новые кусты.
Меры профилактики
Разрешённых и эффективных препаратов против возбудителя реверсии на настоящее время (2017 год) нет. Поэтому все смородиновые кусты на участке следует как можно чаще проверять на наличие инфекции с фазы цветения до периода созревания ягод.
Растения смородины даже с единичными выявленными симптомами заболеванием махровостью следует НЕМЕДЛЕННО выкорчёвывать и сжигать!
Распространению возбудителя способствуют почковые клещи. Поэтому борьба с ними (см. статью вредители смородины) является профилактической мерой против махровости.
Фиолетовые листья у смородины. Распространённые грибковые заболевания
Самыми распространёнными грибковыми болезнями, поражающими чёрную смородину, являются:
- антракноз;
- септориоз (белая пятнистость);
- ржавчина;
- мучнистая роса.
Антракноз — заболевание, которое распространено дождливым летом. На листьях появляются изолированные жёлто-зелёные пятнышки, которые затем буреют, разрастаются и сливаются друг с другом, образуя некротические участки. Спустя некоторое время заболевают побеги и ягоды.
Если не принимать никаких мер, поражённые листья, начиная с нижних ярусов, полностью буреют, засыхают и массово опадают раньше срока. Зелёные ягоды осыпаются, побеги дают слабый прирост. Поражённые кусты малоустойчивы к морозам, и их продуктивность снижается на 50–70%.

Листья чёрной смородины в начальной стадии поражения антракнозом
Септориоз (белая пятнистость) также наиболее вероятен дождливым прохладным летом. На листьях появляются бурые пятнышки, которые со временем становятся белесыми с бурой каймой. При сильном поражении пятна увеличиваются и сливаются между собой. Лист засыхает и погибает. Урожайность болеющих кустов снижается в 1,5–2 раза.

Септориоз черной смородины приводит к уменьшению урожайности в 1,5–2 раза
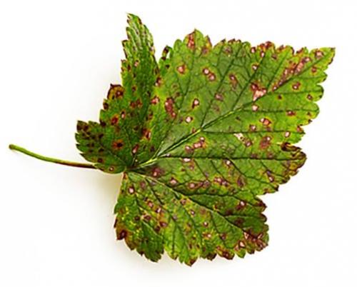
Ржавчина — рыжие бугорки на тыльной стороне листьев, которые при распространении заболевания сливаются в оранжевые полосы. Поражаться могут и плоды. Спровоцировать заболевание может чрезмерный весенний полив. Живут возбудители ржавчины на хвойниках или на болотистом растении — осоке. Если рядом с садовым участком находится заболоченный водоём или хвойные посадки, то для разведения смородины лучше будет выбрать сорта, устойчивые к поражению ржавчиной.

Бугорки ржавчины при распространении заболевания сливаются между собой в полосы
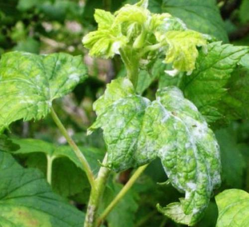
Мучнистая роса — редкое заболевание чёрной смородины. Проявляется белым налётом на верхушках побегов. Листья не растут, деформируются и отмирают. При отсутствии лечения распространяется и на ягоды.
