Кисти винограда без ягод. Почему сохнет гроздь винограда
Кисти винограда без ягод. Почему сохнет гроздь винограда
Виноградные грозди могут засыхать в момент, когда только завязываются или уже созревают. Причины часто — в плохом уходе.
Недостаток влаги
Виноград — солнечная ягода. Он растет на юге, где дождей мало, хорошо переносит сухую погоду. Но, если летом хотя бы два раза в месяц не проходят обильные дожди, кусты поливают.

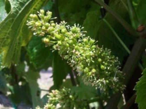
Ягоды засохли на кусте до созревания
Без воды снижается плотность ягод, грозди не наливаются соком. Потом вянут и засыхают.
В засушливое лето кустарник обязательно регулярно орошают. Взрослому растению достаточно 3-4 ведра воды. При этом она должна быть комнатной температуры. Если применяется водопроводная вода, то ей дают постоять на воздухе несколько часов.
Поливают вечером или утром, чтобы до солнцепека корни напитались влагой.
Солнечный и другие виды ожога винограда
Солнце приносит и пользу, и вред кустарнику, особенно если оно слишком палящее в полуденные часы.
Обожженные ягоды становятся слегка вдавленными. Цвет приобретают беловатый или светло-бурый. Ожоги получают грозди, которые повернуты к солнцу, ничем не притененные.
Для справки: вкус таких ягод напоминает забродившее вино.
Солнечный ожог культура получает во второй половине июля, когда столбик термометра стабильно показывает 30°С и выше.
При таком солнце:
- повышается испарение влаги листьями;
- снижается иммунитет растения, замедляется его рост;
- нарушаются обменные процессы и созревание ягод.
Листья также страдают от солнца. Если кустарник обрызгать в жаркий день, капли воды сыграют роль линзы. В результате на листовых пластинах появятся бурые пятна. Позднее такие листья полностью засыхают, что негативно сказывается на всей лозе.
Защищают кустарник так:
- поливают под корень, чтобы вода не попала на лист и грозди;
- делают временное притенение в знойные часы из мягкой ткани — к вечеру ее убирают;
- гибкие побеги, по возможности, перемещают в тень.
Другие виды ожога объясняют, почему сохнут кисти винограда в период созревания:
- Бактериальный ожог на винограде. Бактерия поражает цветки, потом листья и стебли — они становятся коричневого цвета. Листья не опадают сами по себе. Их обирают в ручную, затем сжигают. Куст обрабатывают антибактериальным препаратом. Также уничтожают всех вредителей, потому что они разносят бактерию Erwinia amylovora (Burrill) Winslow et al.
- Краевой ожог наблюдают, когда растению не хватает калия. В этом случае лист истончается, жилки становятся бурыми, края пластины желтеют. Для лечения под куст вносят калийные удобрения, проводят опрыскивание по листу.
- Химический ожог лоза получает, если подкармливают слишком концентрированными препаратами (фунгициды, минеральные удобрения). Предотвращают ожог соблюдением дозировки химических средств обработки.
Солнечный ожог
Перегрузка урожаем
Виноград генетически предрасположен закладывать урожай сверх своей силы. Образует столько побегов и соцветий, сколько не в состоянии «прокормить» питательными веществами.
Без вмешательства садовода растение одичает. Перегруз приводит к бесконтрольному росту ветвей. Куст сильно загустевает, кистей становится очень много, ягоды мельчают, вянут, не успевают созревать. В итоге кустарник из культурного растения превращается в дикие заросли, плоды которого уже не представляют особого интереса.
Дополнительная информация: если в один год кустарник сильно перегружен плодами, то на следующий год урожай будет скудным.
Для предотвращения пагубных процессов нагрузку снижают, проводя обрезку. Это хирургический прием в агротехнике, который влияет на объем урожая и его качество.
Виноградари обламывают лишние побеги и соцветия, чтобы снизить перегруз кустарника. Правильная обрезка регулирует рост культуры, плодоношение, оптимальный прирост лозы. Своими действиями виноградарь создает равновесие между корнями и вегетативными органами растения.
Почему виноград сбрасывает ягоды. Причины осыпания завязи на винограде
 Осыпание завязи винограда происходит в разные периоды:
Осыпание завязи винограда происходит в разные периоды: 
- После окончания цветения лозы (первые 2 – 3 дня);
- По мере достижения плодами размера 3 – 4 мм;
- Осыпаются бутоны с не сформированными виноградинами.
Также ответом на вопрос, почему осыпается виноград после цветения, может быть естественное поведение кустарника. Природа наделила его способностью самостоятельно регулировать количество образующихся плодов. Это позволяет растению избегать перегруженности.
Другими причинами осыпания завязи винограда являются:
- Ослабленный вредителями или болезнями иммунитет культуры;
- Неправильное строение цветков (недоразвитые тычинки или некачественная пыльца препятствуют полноценному оплодотворению цветоносов и формированию плодов);
- Дисбаланс роста побегов и плодоношения куста. Интенсивная вегетация не дает цветущим гроздям выполнить свои функции;
- На кисти опыляются не все женские цветки, отчего пустоцветы осыпаются.
 Склонность определенного сорта к осыпанию соцветий;
Склонность определенного сорта к осыпанию соцветий;Кроме того, существуют и такие причины осыпания винограда после цветения, которые не зависят от растения. Виновата или погода, или неправильный уход за саженцами. Например, завязь не будет задерживаться на лозе в жаркие засушливые дни или когда на улице сыро и холодно.
Осыпанием соцветий виноград может отреагировать на изобилие азотистых удобрений и нехватку минералов в почве. Также на процесс цветения кустов влияет влажность грунта. При недостаточном поливе толку от завязи не будет.
Почему у винограда вянут ягоды. Почему сохнут незрелые ягоды винограда?
Думаю, статья будет как раз ко времени, так именно сейчас, в июле, наиболее вероятны такие проблемы с виноградом как солнечный ожог или бактериоз. Речь пойдет о случаях когда ягоды винограда сохнут без всяких видимых причин.
Бактериоз ягод винограда
Бактериоз ягод винограда проявляет себя после цветения, когда ягоды достигают размера примерно 8-10мм в диаметре. Вы вряд ли заметите проблему на начальной стадии если не станете рассматривать ягоды очень внимательно. Присмотревшись, можно заметить белые пятна под кожицей, отмирающую ткань. Сама кожица при этом выглядит вполне нормально. Немного позже пораженная ткань темнеет, пятно проваливается внутрь ягоды. Выглядит это так:

Бактериоз ягод винограда. Фото из открытых источников
Симптомы бактериоза напоминают солнечный ожог, но причины его совсем в другом. Бактериоз вызывают некоторые вид бактерий и вирусов, а проникают в ягоду эти бактерии с помощью сосущих вредителей.
Как лечить бактериоз ягод винограда
Если отвечать коротко, то - никак. Бактериоз нельзя вылечить, зараженные ягоды в любом случае засохнут и погибнут, поэтому если вы их обнаружили можете сразу удалить, чтобы они не портили вид грозди.
В качестве профилактики всегда применяйте инсектициды в обработке кустов сразу после цветения. Защита от вредителей на этой стадии даёт хороший результат, на своём винограднике я вижу бактериоз крайне редко. 
Солнечный ожог ягод винограда
Солнечный ожог - это наиболее частая причина, по которой зеленые ягоды винограда сохнут. Не только на юге, но и в средней полосе бывает достаточно жарко, чтобы ягоды спеклись на солнце.
Интересно, что не все сорта страдают одинаково. Некоторые пекутся очень легко, другие переносят любую жару и прямое солнечное освещение. На фото показан типичный пример проблемы: 

Солнечный ожог ягод винограда. Фото из открытых источников
В некоторых случаях ожог трудно отличить от бактериоза. Я рекомендую всегда обращать внимание на расположение повреждений. Если вы видите, что пятна на всех ягодах находятся сверху, и все они расположены с освещенной стороны грозди, то нетрудно сделать логический вывод, что это ожог.
Как предотвратить солнечный ожог ягод винограда
Грозди некоторых сортов придется прятать в тень от палящего солнца. Каждый придумывает свои способы, от обертывания гроздей газетами, до завешивания шпалер тюлевыми занавесями или любыми кусками ткани:

Защита винограда от солнечных ожогов. Фото из открытых источников
Честно говоря, это плохой способ. Грозди должны хорошо проветриваться, чтобы не заразиться грибковыми болезнями, оидиумом в частности, а такие "пеленки" конечно ухудшают вентиляцию.
За много лет своего виноградарства я нашел способ, который защищает мои грозди от ожогов - это сама структура виноградника. Сочетание конструкции шпалер, их расположения по сторонам света и формировки. 

Фото автора
Часть моих кустов расположены на горизонтальных беседках, где грозди свисают вниз, а над ними расположен листовой полог. Другая часть на Г-образных шпалерах с расположением рядов в направлении восток-запад:

Г-образная шпалера со сисающим приростом. Фото автора
В данном случае кусты ведутся со свисающим приростом, который к июлю уже прикрывает грозди от прямых солнечных лучей. Козырек шпалеры и свисающие побеги направлены в южную сторону.
Вот, пожалуй, и все причины, по которым ягоды винограда сохнут без видимых причин болезней . Если же вы наблюдаете на ягодах какой либо налет, или темные пятна с трещинами посередине, то скорее всего вы имеете дело с грибковой болезнью, и лучше как можно быстрее разобраться с какой именно. Ссылка для таких случаев приведена ниже.
Для тех кому интересна тема шпалер ссылка на раздел "Шпалеры и формировки" на сайте.
Подпиской, лайком или комментарием к статье Вы поддерживаете развитие канала!
Вялые кисти винограда. Почем вянут кисти винограда

======================
Очень обидно бывает, когда уже на самом финише у винограда начинают вянуть кисти. Причин этого явления несколько. Нужно научиться их отличать друг от друга, чтобы спасти урожай ягод.
Солнечный ожог
Самой распространенной причиной увядания ягод на винограднике является их солнечный ожог. Действует он по-разному. Иногда ягоды просто горят на солнце, в этом случае они приобретают бурый цвет и на вкус становятся как забродившие. Иногда – просто слегка подвядают, не меняя окраску. От этого, правда, тоже не легче: вкус их изменяется, появляется забродивший привкус. На продажу и на еду такой виноград уже не годится.
Чтобы спасти урожай, вопреки рекомендациям грозди не осветляют, и даже специально оставляют пасынки в зоне расположения кистей.
Милдью
Самый большой ущерб урожаю эта болезнь наносит во время цветения, когда усыхают целые кисти винограда. Потом из-за милдью усыхают отдельные ягоды, а перед созреванием могут засохнуть части гроздей. Обычно увядает нижняя треть или половина грозди. Причина проста – грибок перекрывает поступление питания по грозди, и ниже места поражения все ягоды увядают.
Чтобы такого не происходило, опрыскивают кусты от милдью трижды: перед цветением, после и по «гороху». Пользоваться лучше системными медьсодержащими препаратами – Ридомилом, Орданом, Курзатом, Полихомом, Акробатом.
Оидиум
Тоже может вызывать подвядание и усыхание ягод. Хотя чаще маскируется под солнечные ожоги, когда на ягодах появляется едва заметный серовато-белый налет, как будто загар от солнца. После этого ягода или лопается, или подвядает.
С оидиумом проще: что с ним можно бороться вплоть до уборки урожая, используя коллоидную серу или Тиовит. Сложность только в том, что эти препараты при температуре выше 35° С вызывают ожоги на винограде.
Дефицит влаги
Виноград считается засухоустойчивым растением. Он действительно хорошо переносит засуху, но иногда реагирует на нее усыханием гроздей. Ягоды из-за нехватки воды уменьшаются в размерах и усыхают. Некоторые грозди могут полностью засохнуть.
Обычно виноград во время созревания не поливают до полной уборки урожая. Но в засушливую погоду поливы проводить все равно надо.
Интересно, что виноград так реагирует не только на нехватку, но и на избыток влаги. На заболоченных участках тоже наблюдается увядание гроздей, похожее на дефицит влаги.
Перегрузка урожаем
Если на кустах оставить слишком много кистей, они тоже могут начать увядать, так и не набрав сахара. Поэтому важно не жадничать, удалять лишние грозди и тщательно регулировать нагрузку кустов урожаем.