Красные листья на смородине, как бороться. Причины, вызывающие красные пятна на листьях
- Красные листья на смородине, как бороться. Причины, вызывающие красные пятна на листьях
- Галловая тля. Жизненные циклы вредителя
- Красные пятна на ветках смородины. Обработка и опрыскивание кустов осенью химическими и народными средствами
- Светлые пятна на листьях смородины. Распространённые грибковые заболевания
Красные листья на смородине, как бороться. Причины, вызывающие красные пятна на листьях
Как бы бережно огородник не относился к своим растениям, иногда приходится иметь дело с неприятными проблемами. С грибковыми поражениями, опасными вредителями, инфекциями можно столкнуться по причинам, не зависящим от человека. Способствовать развитию заболеваний смородины может повышенная влажность воздуха, а также неблагоприятный температурный режим.
Часто способствует поражению растения нарушения агротехнических процедур, несвоевременный или неправильный уход, нехватка или переизбыток удобрений.
Избежать неприятностей можно, если подобрать правильный уход, необходимый для конкретного сорта смородины. Важно следить не только за питанием растения, но и за физическим состоянием грунта
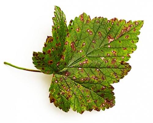
Красные пятна на листьях смородины чаще всего являются следствием двух явлений. Это может быть грибковое поражение антракноз или последствия жизнедеятельности тли . Обе проблемы могут привести к гибели урожая. Поэтому терапию нужно проводить незамедлительно. Большое значение имеют также профилактические меры.
Антракноз
Это заболевание может поражать все виды смородины. Среди дачников может встречаться также название «мухосед». Проблема в том, что грибок, который поражает листья кустарника, обладает высокой устойчивостью. Возбудитель без проблем переживает зиму под кустами . Распространять его могут многочисленные насекомые. Повышенный рост патогенных микроорганизмов провоцирует влага. Поэтому инфекция чаще всего поражает кусты в дождливый сезон.

О том, что растение поражено, будут указывать мелкие бурые пятнышки на листьях . Со временем их количество увеличивается, пятна растут и сливаются. Если своевременно не предпринять терапевтические меры, листья полностью высыхают.
Важно! Хуже всего переживает антракноз красная смородина. Достаточно несколько бурых пятен, чтобы листья начали осыпаться.
Галловая тля
Насекомые могут наносить растению ощутимый урон, сказываясь не только на внешнем виде, но и на урожайности. Опасной для смородины является галловая тля. В большей степени риску подверженыи. Под воздействием насекомых на листьях появляются непривлекательные бурые бугорки. На первый взгляд может показаться, что растение поражено инфекционным заболеванием. Но если перевернуть лист, становится ясно, что вздутие связано с жизнедеятельностью тли.
Галловая тля — вредитель, который высасывает сок из листьев смородины. На растении насекомые обитают до середины июля, пока листья остаются нежными и сочными. Затем тля перебирается на лаванду, душицу, шалфей.
Насекомые чаще всего выбирают приросты текущего года с наиболее нежными листочками. Это негативно сказывается на урожайность в целом. Ведь рост кустарника приостанавливается, значительно снижается вероятность хорошего урожая и в будущем сезоне.
Галловая тля может стремительно размножаться, что негативно сказывается на состоянии смородины. Одна особь за сезон может породить более сотни себе подобных . Лучше насекомые себя чувствуют при высокой температуре. Поэтому, чем выше температура воздуха на улице, тем больше вероятность поражения кустарника.
Знаете ли вы? На земле существует более 4000 разновидностей тли. Галловая тля является одной из наиболее распространённых.
Галловая тля. Жизненные циклы вредителя
Тля высасывает из смородины основные соки, истощая тем самым побеги и вызывая снижение урожайности. Чтобы вылечить образовавшиеся раны, растение продуцирует дополнительные ткани, образующие галловые наросты. Если с тлей ничего не делать, она будет воспроизводить новое потомство и поедать ветви до тех пор, пока не уничтожит их. Почему появляются вздувшиеся почки на смородине узнайте в .
Тля приманивает в сад муравьев, которые защищают вредное насекомое от энтомофагов и способствуют его максимально активному размножению. Сами муравьи тоже пользы для сада не несут, любят питаться виноградными и земляничными соками.
Галловая тля – главная причина вирусных инфекционных заболеваний смородины. Молодые побеги даже после того, как вредитель будет истреблен, растут плохо, восстанавливаются долго и до конца могут не восстановиться вообще. Закономерный итог этого – ухудшение урожайности.
Для жизненного цикла насекомого характерно явление полиформизма. Речь идет о том, что различные генерации насекомых различаются внешне и могут выполнять те или иные функции. Остановимся на данном моменте подробнее:
- Основательница выходит из яйца. Она выполняет роль праматери всех сезонных поколений особей. Основательница относится к партеногенетическим живородящим – производит жизнеспособных насекомых только женского пола, которые отвечают за генерацию нового потомства.
- Девственницы – основная часть тли галловой, которую можно увидеть на смородине. Крыльев у девственниц нет, поэтому насекомые проживают на растении-хозяине все время, самки воспроизводят себе подобных.
- Расселительница – крылатый вредитель. Когда колония разрастается либо сильно истощается кормовая база, расселительницы перелетают на новые места и делают там следующее свое поселение.
- Полоноски – переходная генерация насекомого-вредителя, из которого появляются самки, способные осуществлять яйцекладку.
- Самки с самцами – обоеполые поколения, отвечающие за зимовку. Они откладывают в стеблях яйца, откуда весной выходят основательницы.
Как происходит развитие вредителя
Галловая листовая тля откладывает под корой веток красной смородины ближе к почкам яйца. Здесь личинка в зависимости от конкретных климатических условий региона, погодных факторов может пребывать до 9 месяцев. Весной, по мере распускания почек, из яиц выходят основательницы и начинают заселять растение. Размножается насекомое во время обильного цветения кустарника. Пик вредоносности приходится на июнь, когда колония становится максимально большой. Во второй половине лета листки смородины грубеют, а тля расселяется на промежуточные растения. На листьях кормится еще несколько поколений вредителя, о которых мы писали выше. Тут же выводится обоеполое поколение, которое со временем вернется на смородину для кладки яиц (то есть ближе к осени). Как защитить смородину от тли читайте .
Красные пятна на ветках смородины. Обработка и опрыскивание кустов осенью химическими и народными средствами
Обработка смородины осенью проводится для того, чтобы избавиться от различных вредителей и болезней. Ведь с наступлением весны все микроорганизмы оживают и начинают свою активную деятельность.
Для того, чтобы защитить смородину от вредителей и болезней, в осенний период необходимо провести ряд мероприятий :
- делать осеннюю перекопку почвы вокруг кустов;
- уничтожение опавших листьев;
- обрезку повреждённых, ослабленных и старых веток;
- профилактическое опрыскивание.
Для профилактического опрыскивания специалисты рекомендуют использовать химические растворы, в состав которых входят лекарства от патогенных микроорганизмов и вредителей.
К сведению новичков в деле садоводства: если нет желания использовать химические составы, можно применять натуральные компоненты — народные средства (настой из полыни, чеснока, луковой шелухи, табака).
При опрыскивании красной и черной смородины необходимо придерживаться рекомендаций :
Боремся с болезнями и вредителями смородины без химии:
Своевременный уход за кустами смородины, обработка их от вредителей и болезней – залог выращивания здорового растения на протяжении долгих лет и получения хорошего урожая.
Вредители красной смородины, фото которых позволяет быстро определить причину снижения урожая ягод, являются достаточно серьезной проблемой для многих огородников. Болезни и вредители могут полностью уничтожить весь урожай смородины. Нередко случается так, что огородники, не заметив явных признаков заболеваний или вредителей на смородине, могут счесть, что кусты просто состарились, с чем и связано снижение плодоношения.
Стоит отметить, что красная смородина отличается большой устойчивостью к болезням и некоторым вредителям, поэтому большинство огородников никогда не сталкиваются с такими проблемами. Однако если на приусадебном участке имеется много кустов смородины, то ее владельцам нужно знать все распространенные болезни и вредителей этого растения, а кроме того, методы борьбы с ними. Лечение растений, как и профилактические меры, для недопущения распространения заболеваний красной смородины, позволяет повысить урожаи ягод.

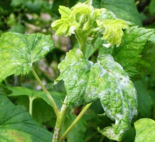
Светлые пятна на листьях смородины. Распространённые грибковые заболевания
Самыми распространёнными грибковыми болезнями, поражающими чёрную смородину, являются:
- антракноз;
- септориоз (белая пятнистость);
- ржавчина;
- мучнистая роса.
Антракноз — заболевание, которое распространено дождливым летом. На листьях появляются изолированные жёлто-зелёные пятнышки, которые затем буреют, разрастаются и сливаются друг с другом, образуя некротические участки. Спустя некоторое время заболевают побеги и ягоды.
Если не принимать никаких мер, поражённые листья, начиная с нижних ярусов, полностью буреют, засыхают и массово опадают раньше срока. Зелёные ягоды осыпаются, побеги дают слабый прирост. Поражённые кусты малоустойчивы к морозам, и их продуктивность снижается на 50–70%.

Листья чёрной смородины в начальной стадии поражения антракнозом
Септориоз (белая пятнистость) также наиболее вероятен дождливым прохладным летом. На листьях появляются бурые пятнышки, которые со временем становятся белесыми с бурой каймой. При сильном поражении пятна увеличиваются и сливаются между собой. Лист засыхает и погибает. Урожайность болеющих кустов снижается в 1,5–2 раза.

Септориоз черной смородины приводит к уменьшению урожайности в 1,5–2 раза
Ржавчина — рыжие бугорки на тыльной стороне листьев, которые при распространении заболевания сливаются в оранжевые полосы. Поражаться могут и плоды. Спровоцировать заболевание может чрезмерный весенний полив. Живут возбудители ржавчины на хвойниках или на болотистом растении — осоке. Если рядом с садовым участком находится заболоченный водоём или хвойные посадки, то для разведения смородины лучше будет выбрать сорта, устойчивые к поражению ржавчиной.

Бугорки ржавчины при распространении заболевания сливаются между собой в полосы
Мучнистая роса — редкое заболевание чёрной смородины. Проявляется белым налётом на верхушках побегов. Листья не растут, деформируются и отмирают. При отсутствии лечения распространяется и на ягоды.
