Ржавчина на груше чем лечить. Симптомы ржавчины
- Ржавчина на груше чем лечить. Симптомы ржавчины
- Болезни груши картинки. Как нужно бороться с болезнями садовых груш?
- Хорус от ржавчины. Состав и механизм воздействия препарата
- Болезни груши листья. Болезни плодов груши
- Болезни груши на листьях. Признаки и методы лечения заболеваний плодов
- Как спасти грушу. Уход за грушей по возрастам
Ржавчина на груше чем лечить. Симптомы ржавчины
Ржавчина опасна для груш, прежде всего, тем, что никак не проявляет себя, пока грибок прочно не обоснуется в клетках дерева. С момента заражения до появления симптомов заболевания может пройти несколько месяцев.

Пораженное ржавчиной грушевое дерево
Первый признак заражения груши ржавчиной — появление на листьях желтовато-зеленых пятнышек, которые позднее изменяют окраску и становятся малиновыми или ржавыми (за что болезни и дали название). В центре каждого такого пятна можно разглядеть множество черных точек — здесь развивается грибница. Обратная сторона каждого пораженного листочка вскоре покрывается коричневыми бугорками — спорохранилищами. Вызревшие в них мелкие как пыль споры снова разносятся ветром по саду и далеко за его пределы, заражая другие деревья и кустарники. Заболевшие груши постепенно сбрасывают листья, и если не предпринять никаких мер по их оздоровлению, то они вовсе останутся без листвы, не говоря уже о плодах.

На листьях груши сформировались спорохранилища
У больных деревьев существенно снижается морозостойкость, а сильное заражение ржавчиной ослабляет груши настолько, что они могут погибнуть еще до наступления зимы. Особенно грибок опасен для молодых саженцев.
Обратите внимание! Ржавчина повреждает не только листья, часто грибок пробирается под кору плодовых деревьев. Поврежденные стволы и ветви груш становятся уязвимыми для других вредителей и паразитов.

Болезни груши картинки. Как нужно бороться с болезнями садовых груш?
Для начала ознакомьтесь с описанием и способами лечения различных болезней груш.
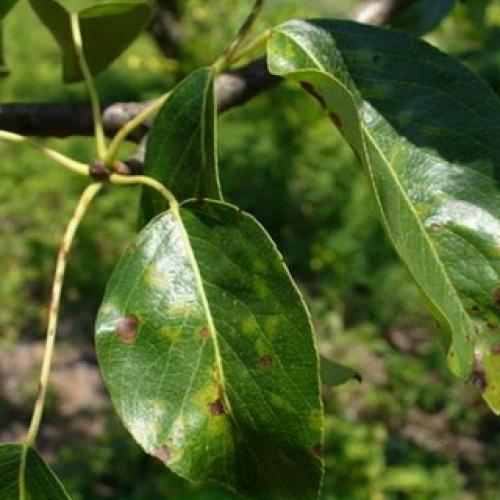
Бурая пятнистость груши.


Возбудитель — гриб Phyllosticta pirina. На листьях появляются бурые, округлые или неправильной формы пятна, которые часто сливаются между собой. Признаки этой болезни груш напоминают ожоги. Со временем сформировываются мелкие точечные бурые плодовые тела зимующей стадии. Листья желтеют и преждевременно опадают, что сказывается на вызревании древесины побегов и их морозоустойчивости. При описании этой болезни груш обязательно нужно отметить, что инфекция сохраняется в опавших листьях.
Меры борьбы. Опрыскивание деревьев весной до цветения и сразу после его окончания 1 %-ой бордоской смесью. Такжедля борьбы с этой болезнью груш можно опрыскивать деревья препаратами ХОМ и Абига-Пик. Обязателен сбор и удаление опавших листьев.
Серая гниль груши.
Возбудитель — гриб Botrytis cinerea.
Как видно на фото, признаком этой болезни груш является появление крупных бурых пятен без окаймления на листьях:


В годы с холодным и дождливым летом такие пятна появляются и на плодах, которые буреют и усыхают. При обилии осадков развивается дымчато-серое спороношение гриба. Со временем грибница подсыхает, и в ней сформировываются многочисленные мелкие округлые плодовые тела черного цвета. В сухую погоду пятна на листьях растрескиваются и выпадают, а плоды буреют и засыхают. Инфекция сохраняется плодовыми телами на опавших листьях и плодах и мицелием в коре побегов.
Меры борьбы. Использование здорового посадочного материала, соблюдение агротехники, сбор и уничтожение растительных остатков, прореживание загущенных посадок. Для лечения этой болезни груш эффективно опрыскивание деревьев препаратом скор или раек.
Парша груши.
Возбудитель — гриб Venturia pirina. На листьях с нижней стороны появляются темно-зеленые, постепенно буреющие бархатистые пятна.
Посмотрите на фото – при этой болезни листья груш желтеют и преждевременно опадают:


При заражении весной и в начале лета пятна крупные, позднее, при повторных перезаражениях — мелкие, малозаметные. Споры перезаражают завязи, молодые побеги, плоды. На побегах кора покрывается мелкими пузыревидными вздутиями, которые позднее разрываются под напором массы спор. Кора становится шероховатой и шелушится. Поражаются также черешки листьев, плодоножки и цветки, а плоды покрываются пятнами и становятся непригодными к употреблению. При массовом распространении парши снижается зимостойкость деревьев. Развитию болезни благоприятствует влажная холодная весна и обилие осадков летом. Гриб поражает только грушу. Инфекция сохраняется в растительных остатках.
Меры борьбы. Чтобы бороться с этой болезнью груш как можно более эффективно, необходимо собирать и уничтожать (возможно компостировать) опавшие пораженные листья. Опрыскивания деревьев, начиная с фазы зеленого конуса и при необходимости в летнее время, учитывая сроки ожидания, одним из препаратов: 1%-ная бордоская смесь, ХОМ, Абига-Пик, скор, раёк. Проще ориентироваться по срокам: до цветения и сразу после цветения.
Плодовая гниль груши.


Возбудитель – Monilia fructigena. Гниль развивается на плодах в виде небольших бурых увеличивающихся пятен. Постепенно плоды светлеют, размещаются и усыхают. На их поверхности развиваются светло-бурые подушечки спороношения, расположенные концентрическими кругами, споры которых постоянно заражают соседние плоды.
Распространению инфекции способствуют насекомые и затяжная холодная весна с обилием осадков. Инфекция сохраняется в плодах, а также в тканях коры однолетних побегов.
Меры борьбы. Опрыскивание деревьев при распускании почек и сразу после окончания цветения бордоской смесью или препаратами ХОМ, Абига-Пик. При сильном заражении этой болезнью опрыскивание садовых груш повторяют осенью после сбора и уничтожения плодов.
Посмотрите фото болезней груш, описание которых представлено выше:




Далее вы сможете увидеть фото вредителей груш и узнать о методах борьбы с ними.
Хорус от ржавчины. Состав и механизм воздействия препарата
Как и большинство эффективных препаратов, фунгицид Хорус обладает широким спектром действия. Сингента (швейцарская фирма-производитель) создало мощное вещество, которое справляется с самыми сложными формами грибкового заражения. Мучнистая роса – болезнь, от которой далеко не каждый препарат поможет, теперь не страшна.
Хорус – средство от грибков, механизм воздействия которого является проникновение. Активное вещество проникает в клеточный состав растения и спор гриба. Затем начинает работу по торможению синтеза аминокислот.
Результатом становится нарушение жизнедеятельности микроорганизмов, которые нарушают нормальное развитие культуры. Кроме того, за счет разрушения грибницы, Хорус не дает возможности дать рецидив.
В состав вошел ципродинил. Активный компонент отлично срабатывает на всех растениях в молодом возрасте. Причина: тонкий эпидермис листиков и побегов. Активность в этом случае увеличивается в два-три раза. Этот же компонент дает возможность уничтожать грибок и в стадии анабиоза.
Поэтому проводить работы на почве Хорусом лучше всего ранней весной, когда грибок еще не стал интенсивно распространяться по почве. Если опоздали или узнали о фунгициде позже, чем появились первые симптомы заболевания, расстраиваться не стоит.
Хорус — системный фунгицидный препарат. Это значит, что вещество служит не только в качестве профилактического средства, но и как терапевтическое.
Внешний вид средства:
- гранулированные капсулки небольшого размера;
- гранулы быстрорастворимые;
- цвет: бело-серый. Может иметь коричневый оттенок.
Препарат продается фасованным: 1 г, 3 г, 5 г, 15 г. Для крупных аграрных комплексов приобретают килограммовые упаковки.

Болезни груши листья. Болезни плодов груши
Некоторые болезни груши сначала атакуют плод, и только на поздней стадии развития переходят на само растение. Своевременная обработка сада позволит спасти будущий урожай и предотвратить заражение других деревьев.

Парша
Грибковое заболевание, которое вызвано грибом Fusicladium pirinum. Изначально споры проявляют себя на нижней стороне листа. Они выглядят как пятна оливкового цвета. Впоследствии болезнь переходит на плоды: появляются темные пятна с гнилью, трескается кожура , происходит деформация формы, теряются вкусовые качества.
Профилактика заключается в троекратной обработке бордоской смесью (1%). Первое опрыскивание проводится после распускания листьев, второе по бутонам розового цвета, третье – по завершении цветения.

Чтобы избежать заражения, крону необходимо своевременно обрезать , снижая ее загущение. Беспрепятственный доступ кислорода в большинстве случаев спасает от грибка. Также необходимо расчищать землю вокруг ствола, убирать опавшие плоды .
Если произошло заражение, то опавшую листву сжигают, после чего проводится обработка препаратом Днок. Также вылечить растение можно, воспользовавшись пастой Нитрафена. Хорошо борется с возбудителем средство Скор. Использование веществ выполняется согласно указанной на упаковке инструкции.
Плодовая гниль
Определить болезнь груши можно по признакам, представленным на фото. Это пятна бурого цвета, расположенные на плодах. Через некоторое время они переходят в стадию наростов, содержащих споры гриба-возбудителя – Monilia fructigena. Они перемещаются по всем деревьям сада и приводят к тому, что плоды становятся мягкими, теряют свой вкус и вид.

Одна часть урожая осыпается не созрев, а вторая — остается висеть на ветках, постепенно превращаясь в сушку. Именно оставшиеся плоды, а также неубранные осыпавшиеся, становятся причиной повторного заражения в следующем сезоне. Пик заражения приходится на вторую половину лета, когда начинается созревание урожая, а погода стоит влажная и теплая.
В качестве профилактики следует:
- Вовремя выполнять санитарную обрезку дерева.
- Исключить нахождение на участке заборов и прочих сооружений, которые препятствуют свободной циркуляции воздуха.
- Собирать и уничтожать зараженные плоды, не давая им оставаться на дереве или вблизи него.

Вначале и в конце сезона проводится обработка при помощи бордоской смеси (1%). Альтернатива – препарат ХОМ. Также в эти периоды необходимо выполнить опрыскивание известковым молоком (берется 1 кг извести и растворяется в 10 литрах воды).
Кроме того, против болезней груши помогают следующие препараты, совмещенные в одной емкости: Актофит, Экоберин, Здоровый сад, Байкал. Они используются в качестве внекорневой подкормки , которая может проводиться в течение всего летнего периода. Такая смесь положительно сказывается на иммунитете растений, что, в свою очередь, обеспечивает защиту от бактерий и грибов.
Серая гниль
Заболевание распространено в нечерноземной полосе, но встречается реже, чем плодовая гниль. Проявляется на ранней стадии развития плода. Симптомы схожи с упомянутым заболеванием, но все же имеют определенные отличительные черты.
Определить болезнь груши можно по следующим признакам: на плоде образуется гнилостное пятно небольшого размера, которое в скором времени увеличивается и захватывает всю площадь. Дальше на груше появляются споровые образования серого цвета, диаметр которых составляет 0,5-1,5 мм.

В итоге плод сморщивается, высыхает, падает на землю или продолжает висеть на ветке. В некоторых случаях груша имеет выраженный сизый оттенок. Серая гниль поражает не только плоды, но и соцветия, что приводит к монилиальному ожогу. Цветки буреют и засыхают, затем то же самое происходит с расположенными рядом листьями и побегами.

Методы профилактики аналогичны тем, что представлены для плодовой гнили. Лечение производится бордоской смесью (1%) или хлорокисью меди из расчета 50 г на 10 литров воды. Также применяются фугициды, которые используются для лечения парши.
Сажистый грибок
Если листья у груши чернеют , то это верный признак появления сажистого грибка. Он проявляет себя во второй половине сезона: на листьях и плодах появляется налет черного цвета, который сильно похож на сажу. Первыми жертвами заболевания становятся груши со слабым иммунитетом, страдающие от недостатка питательных веществ в почве.
Питается грибок сахаристыми выделениями, которые производят насекомые вредители, например, тля. Споры легко переносят зимние морозы, укрываясь под корой или в опавшей листве.

В качестве профилактических мероприятий проводится опрыскивание препаратом Калипсо. Он же используется для травли вредителей. Если инсектицид применять не хочется, то можно попробовать справиться с проблемой фугицидом Фитоверм – он способен подавить рост и дальнейшее размножение грибка.
Если высадка груши только предполагается, то рекомендуется выбрать сорт Кафедральная. Он редко поддается заражению, поскольку обладает хорошим иммунитетом к сажистому грибку.
Болезни груши на листьях. Признаки и методы лечения заболеваний плодов
Нездоровье плодовых деревьев не всегда имеет ярко выраженные проявления. Помогут определить болезнь груши по признакам фото различных изменений окраса листьев, деформации плодов и другие. Рассмотрим болезни груши, описание с фотографиями и способы лечения пораженных экземпляров. Несвоевременные меры предотвращения прогрессирования заболеваний приводят к снижению урожайности или гибели растения.
Сажистый грибок
На листьях появляется жирный налет черного цвета. Первичное развитие происходит на пораженных тлей экземплярах. Если листья покрыты сладковатой липкой пленкой — это выделения паразитирующих насекомых. Без своевременной обработки площадь заселения грибка стремительно разрастается, что нарушает процесс фотосинтеза.
Обрабатывают:
- мыльным раствором;
- полупроцентным медным купоросом;
- хлорокисью.
Парша на плодах груши
Плодовая гниль
Микозное заболевание, образующее споры на плодах прошлых урожаев, оставшихся на деревьях, в грунте. На поверхности плодов появляются пятна коричневого цвета, с возвышенностями серого оттенка. По мере прогрессирования недуга пятна разрастаются, в полостях возвышенностей зреют грибковые споры. Пораженный урожай становится непригодным для употребления.
Превентивные меры борьбы помогают предотвратить дальнейшее распространение спор.
К ним относят:
- сбор пораженного урожая;
- закапывание вдали от садовых насаждений на глубину 100-120 см;
- обработка деревьев инсектицидами против насекомых, которые разносят недуг.
Парша
При этой распространенной болезни груши чернеют листья и плоды. При массовом поражении кроны деревья ослабевают, не выходят из зимовки. Благоприятная среда для развития грибка — повышенная влажность при высокой температуре воздуха. Первый признак – возникновение пятен желтого окраса, овальной или круглой формы на всех поверхностях дерева.
При поражении черешков на них появляются бугорки, впоследствии перерождающиеся в изъязвления, трещины. Плоды деформируются, покрываются темным несимметричным налетом, под которым мякоть становится твердой, безвкусной. Способы борьбы заключаются в удалении пораженных остатков, их сжигании. В грунт добавляют 20% аммония сульфат, 8% мочевину. Кроны деревьев обильно орошают растворами хлорокиси меди, однопроцентной бордосской смесью.
Плодовая гниль-микозное заболевание
Процедуру проводят несколько раз:
- первичная обработка – перед началом фазы бутонизации;
- вторая – по завершении цветения;
последнюю – через 14 дней после второго опрыскивания.
Как спасти грушу. Уход за грушей по возрастам
Первое – это уход при посадке, ведь именно правильная посадка обеспечивает приживаемость юного дерева.Для надежности советуем проделать такие процедуры:
Подвяжите юную грушу к колышку,это защитит ее при сильном ветре.
Прополка избавит от жучков, которые не прочь полакомиться свежей зеленью.
Недостаток влаги убьет молодую культуру меньше,чем за неделю.
После посадки саженца внимательно осматривайте его на наличие заболеваний, вредителей. Тля особенно не равнодушна к юным саженцам. Она кормится соком,который добыть сквозь тонкую и неокрепшую кору саженца просто.
Омолаживайте дерево, т. е. проводите обрезку для формирования нового скелета.На молодых ветвях появятся плодоносные побеги.
На зиму корни груши слегка прикапываются землей либо уже снегом закидываются,который лучше утоптать.
Грушу нужно поливать осторожно.Запомните, корневая система дерева располагается рядом с поверхностью грунта. Струя воды может оголить корни.
Контролируйте плодоношение.Дело в том, что молодые деревья не должно обильно плодоносить, поэтому придется руками обрывать излишки цветов.
При обильном количестве плодов ветки могут ломаться.Придется придумать какие-то подпорки.
Груша - плодовое дерево, пользующееся огромной популярностью у садоводов всего мира. Растение имеет сочные плоды, богатые витаминами, и при должном уходе ежегодно приносит хороший урожай. Однако бывают случаи, когда груша не может распуститься весной или даже засыхает, не пережив зимнего периода. Такие моменты огорчат любого садовода. Стоит разобраться, в чем же заключается причина, и как оживить ваше дерево.
Развитие почек начинается еще во время зимы. Постепенно бутоны лопаются, приобретают вначале зеленый, а затем белый цвет. Первые цветы на грушах начинают появляться уже ранней весной. Это зависит от климатической зоны и сорта дерева.
Если вы посадили растение пару лет назад, а оно до сих пор не начало распускать цветы, не волнуйтесь. Часто цветы на груше появляются на 5-6 год жизни.
Что делать, если ранее дававшее плоды дерево засохло? Как уберечь остальной сад и реанимировать небезнадежно пострадавшие растения? Сперва стоит разобраться, что же приводит к высыханию.