Болезни груши на листьях. Как нужно бороться с болезнями садовых груш?
Болезни груши на листьях. Как нужно бороться с болезнями садовых груш?
Для начала ознакомьтесь с описанием и способами лечения различных болезней груш.
Бурая пятнистость груши.


Возбудитель — гриб Phyllosticta pirina. На листьях появляются бурые, округлые или неправильной формы пятна, которые часто сливаются между собой. Признаки этой болезни груш напоминают ожоги. Со временем сформировываются мелкие точечные бурые плодовые тела зимующей стадии. Листья желтеют и преждевременно опадают, что сказывается на вызревании древесины побегов и их морозоустойчивости. При описании этой болезни груш обязательно нужно отметить, что инфекция сохраняется в опавших листьях.
Меры борьбы. Опрыскивание деревьев весной до цветения и сразу после его окончания 1 %-ой бордоской смесью. Такжедля борьбы с этой болезнью груш можно опрыскивать деревья препаратами ХОМ и Абига-Пик. Обязателен сбор и удаление опавших листьев.
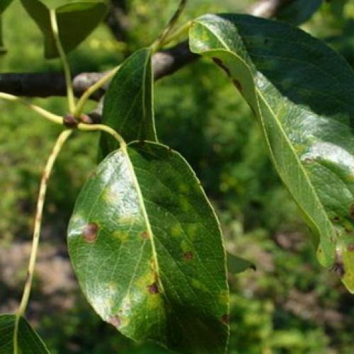
Серая гниль груши.
Возбудитель — гриб Botrytis cinerea.
Как видно на фото, признаком этой болезни груш является появление крупных бурых пятен без окаймления на листьях:


В годы с холодным и дождливым летом такие пятна появляются и на плодах, которые буреют и усыхают. При обилии осадков развивается дымчато-серое спороношение гриба. Со временем грибница подсыхает, и в ней сформировываются многочисленные мелкие округлые плодовые тела черного цвета. В сухую погоду пятна на листьях растрескиваются и выпадают, а плоды буреют и засыхают. Инфекция сохраняется плодовыми телами на опавших листьях и плодах и мицелием в коре побегов.
Меры борьбы. Использование здорового посадочного материала, соблюдение агротехники, сбор и уничтожение растительных остатков, прореживание загущенных посадок. Для лечения этой болезни груш эффективно опрыскивание деревьев препаратом скор или раек.
Парша груши.
Возбудитель — гриб Venturia pirina. На листьях с нижней стороны появляются темно-зеленые, постепенно буреющие бархатистые пятна.
Посмотрите на фото – при этой болезни листья груш желтеют и преждевременно опадают:


При заражении весной и в начале лета пятна крупные, позднее, при повторных перезаражениях — мелкие, малозаметные. Споры перезаражают завязи, молодые побеги, плоды. На побегах кора покрывается мелкими пузыревидными вздутиями, которые позднее разрываются под напором массы спор. Кора становится шероховатой и шелушится. Поражаются также черешки листьев, плодоножки и цветки, а плоды покрываются пятнами и становятся непригодными к употреблению. При массовом распространении парши снижается зимостойкость деревьев. Развитию болезни благоприятствует влажная холодная весна и обилие осадков летом. Гриб поражает только грушу. Инфекция сохраняется в растительных остатках.
Меры борьбы. Чтобы бороться с этой болезнью груш как можно более эффективно, необходимо собирать и уничтожать (возможно компостировать) опавшие пораженные листья. Опрыскивания деревьев, начиная с фазы зеленого конуса и при необходимости в летнее время, учитывая сроки ожидания, одним из препаратов: 1%-ная бордоская смесь, ХОМ, Абига-Пик, скор, раёк. Проще ориентироваться по срокам: до цветения и сразу после цветения.
Плодовая гниль груши.


Возбудитель – Monilia fructigena. Гниль развивается на плодах в виде небольших бурых увеличивающихся пятен. Постепенно плоды светлеют, размещаются и усыхают. На их поверхности развиваются светло-бурые подушечки спороношения, расположенные концентрическими кругами, споры которых постоянно заражают соседние плоды.
Распространению инфекции способствуют насекомые и затяжная холодная весна с обилием осадков. Инфекция сохраняется в плодах, а также в тканях коры однолетних побегов.
Меры борьбы. Опрыскивание деревьев при распускании почек и сразу после окончания цветения бордоской смесью или препаратами ХОМ, Абига-Пик. При сильном заражении этой болезнью опрыскивание садовых груш повторяют осенью после сбора и уничтожения плодов.
Посмотрите фото болезней груш, описание которых представлено выше:




Далее вы сможете увидеть фото вредителей груш и узнать о методах борьбы с ними.
Красные пупырышки на листьях груши. Боремся с грушевыми галловыми клещами
Листья на груше покрылись «пупырышками» розовато-бежевого цвета. Что это за болезнь и как с ней бороться?
Олег Касьянов, Углич
С удя по симптомам, грушу нашего читателя «полюбили» вредители, а точнее – грушевые галловые клещи . Они частенько встречаются в садах средней полосы. Обитает клещ не только на груше, но и на яблоне, боярышнике. Увидеть его сложно, слишком он мелкий, размеры не превышают 0,2 мм . Живет внутри почек или листьев.
В тех местах, где клещ прогрызает микроскопические ходы в листьях, происходит разрастание тканей листа, и образуются вздутия (галлы ). Сначала эти мелкие вздутия-пупырышки приобретают буро-желтый цвет, а потом темнеют. Потихоньку клещ выпивает из листа все соки. Лист темнеет и погибает. Далее начинают осыпаться завязи, урожай значительно снижается, дерево ослабевает.
Клещи зимуют в почках груши . Весной проснувшиеся самки откладывают туда яйца. Там же развиваются первые личинки, которые затем превращаются в самок. Эти уже начинают вгрызаться в листья, формируя галлы-вздутия. И в галлах проходит вся активная жизнь вредителя. Туда же самки откладывают яйца. Прожорливые личинки внутри галлов растут быстро и дружно. За сезон клещ развивается в нескольких поколениях . А осенью вредители перебираются под чешуйки почек , где благополучно зимуют.
В настоящее время теплая влажная летняя погода и обилие листьев способствуют активному размножению вредителя. Если не принять меры, то вы рискуете не только расстаться с урожаем, но и потерять дерево. Особенно клещ вредит молодым садам.
Надо бороться, и это несложно. Первое – обязательно сгребите все поврежденные опавшие листья и сожгите их.
Второе – опрыскайте листву растительными настоями: ромашки, горчицы, одуванчика, лука, картофельной и помидорной ботвы. Повторяйте несколько раз с перерывом в 5–7 дней.
Третье – если заражение клещом достаточно обширное и действие травяных настоев не слишком эффективно, то проведите обработку суспензией коллоидной серы (на 10 литров воды – 100 г препарата). В течение июля, если понадобится, проведите несколько обработок.
Листья обрабатывайте не только сверху, но и снизу, особенно вдоль жилок листа. Помогайте саду своевременно, и будете с урожаем. Удачи.
Понравилась публикация? Поддержите издание!
5 руб. 25 руб. 490 руб.Болезни груши скручиваются листья. Почему на груше скручиваются листья и чем обработать дерево
Красавица-груша, не так давно произраставшая только в южных регионах, сегодня с успехом украшает сады даже в северных широтах. Но в силу своего южного происхождения, эта культура часто подвергается заболеваниям, борьба с которыми становится первостепенной задачей садовода. Львиная доля недугов проявляется на листве – листья груши закручиваются в лодочку. Вот об этой напасти мы и будем говорить сегодня.
Основные причины
Если листья у груши скручиваются в трубочку, а впоследствии чернеют и опадают, причин, отчего так происходит, может быть несколько:
- дереву не хватает питательных веществ;
- оно испытывает недостаток влаги;
- растение поражено грибковой или бактериальной инфекцией;
- груша стала жертвой вируса;
- дерево подверглось атаке вредителей.
Чтобы наверняка понять, почему листики скручиваются и болеют, понадобится внимательный осмотр дерева. В отдельных случаях ситуацию может спасти обычная обработка защитным составом, но иногда требуется кардинальное решение, вплоть до вырубки груши.
Недостаток питания (в частности, кальция) выражается в потемнение краев листочка, который начинает скручиваться с верхушки. Иногда молодым деревьям не хватает бора, тогда листья чернеют и сворачиваются, а молодые ветки останавливаются в развитии. Если дереву не хватает магния или фосфора, страдают в первую очередь нижние листочки: они мельчают, закручиваются и опадают. А когда плодовой культуре остро недостает калия, листва приобретает как бы гофрированный вид, на поверхности появляются бурые полосы, а сами листочки закручиваются.
Иногда бывает сложно отличить проявления недостатка микроэлементов от развития инфекционных заболеваний. Здесь вас должно насторожить отсутствие положительной динамики после проведения листовой подкормки.
К вирусам относят такой недуг, как бороздчатость ствола: на дереве появляются трещины, сквозь которые патогенная микрофлора проникает внутрь дерева, нарушая естественные обменные процессы.
Бактериальная микрофлора поступает в растение вместе с дождевой водой, проникая внутрь сквозь имеющиеся механические повреждения на поверхности ствола. В этом случае не только листья заворачиваются и болеют, увядают завязи, а молодые плоды покрываются бурыми пятнами. Примечательно, что взрослое дерево, пораженное бактериальной инфекцией, выглядит как обгоревшее. А если заражается саженец младше 2–3 лет, он неминуемо погибает.
Еще один бич плодовых деревьев – грибок во всех его проявлениях. О его появлении свидетельствуют характерные бурые пятна на поверхности листьев, постепенно распространяющиеся на плоды.
И, разумеется, насекомые. Результаты их жизнедеятельности также сказываются на состоянии листьев не самым лучшим образом: так, от набегов колоний тли они сворачиваются в бесформенный комочек. Это светло-салатовое миниатюрное насекомое способно полностью лишить взрослое дерево соков.
Лечение дерева
Что делать, если на вашей любимой груше скручиваются листья? Чем обработать дерево, чтобы спасти от гибели? Порядок ваших действий будет напрямую зависеть от выявленных причин, по которым свернулись листья. Ранней весной нужно обработать сад бордоской жидкостью. Можно в несколько этапов, чтобы уничтожить уже имеющихся паразитов и патогенную микрофлору, а также предупредить развитие новых поколений. Все скрутившиеся листочки следует полностью удалить, чтобы они не распространяли инфекцию дальше. Если признаки заболевания успели распространиться и на ветки, от них также следует избавиться.
Для борьбы с грибковыми инфекциями эффективны минеральные удобрения, используемые для листовых подкормок – мочевина, хлористый калий. На протяжении лета можно периодически обрабатывать растение смесью инсектицида и фунгицида, например, «Актеллик» и «Скор». Не последнюю роль в борьбе с недугами играет регулярная омолаживающая обрезка.
Не забывайте также убирать всю опавшую листву перед зимовкой.
Профилактика
Но лучше, когда признаков болезни еще нет, позаботиться о профилактике, и не допустить развития недуга. Чтобы листья не сворачивались, достаточно выполнять несложный набор действий:
- обрабатывать грушу специальными защитными препаратами;
- проводить регулярную обрезку;
- не нарушать режим полива и подкормок;
- убирать опавшую осенью листву;
- избавляться от дегенеративных завязей и плодов;
- каждую весну белить ствол.