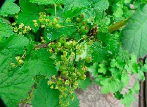
На ягодах смородины белый налет. Почему появляется белый налёт
- На ягодах смородины белый налет. Почему появляется белый налёт
- Мучнистая роса на смородине народные средства. Народные средства против мучнистой росы смородины
- Мучнистая роса смородины. Мучнистая роса на смородине – народные меры борьбы
- Борьба с мучнистой росой на смородине и крыжовнике.
- Черный налет на смородине. Махровость, угроза черной смородины
- Ягоды смородины побелели. Как бороться с белым налетом на листьях смородины
- Светлые пятна на листьях смородины. Химические средства
- Видео мучнистая роса на крыжовнике – как побороть болезнь растения
На ягодах смородины белый налет. Почему появляется белый налёт
Прежде чем подбирать комплексное лечение против такого дефекта, как белый налет на смородине, необходимо детально выяснить причины, по которым появляется такой недуг на культуре. Заболевание, именуемое мучнистая роса, относится к грибковому виду, который считается самым опасным для растения. Появляется этот дефект в начале лета.
Он покрывает белым налетом в форме тонкой паутинки всю листву. Кроме этого, на ветках смородины появляются ещё и небольшие капельки жидкости.
В подавляющем большинстве налёт формируется на обратной стороне листьев, находящихся ближе к почве, затем атакует все молодые ростки, почки и ягоды.
Далее, белый налет на черной смородине начинает уплотняться, приобретать серый окрас с чёрными вкраплениями, которые и являются телом грибка паразита.
Когда происходит поражение мучнистой росой, фотосинтез начинает сильно замедляться, как результат культура не получает в полной мере все необходимые ей питательные компоненты. Из-за чего, листья смородины сохнут , сворачиваются и опадают, а вместе с ними и завязь.
Стоит отметить, что такие кусты черной смородины довольно тяжело переносят зиму. Более того, как правило, они чаще всего погибают, даже если вы предварительно защитили кустарник. Что касается плодов, то если на ягодах появились белые пятна, они полностью теряют свой вкус.
И к сожалению, деятельность мучнистой росы заканчивается тем, что про урожай можно забыть. Но при этом саму культуру можно ещё спасти, для этого необходимо знать какие провокаторы способствуют появлению этого дефекта на кустарнике, а именно:
- тёплая погода при высокой влажности воздуха;
- слишком густо высаженные саженцы;
- зона, где произрастают смородиновые кустарники, находится в тени.
Стоит отметить, что развитие такого дефекта замедляется в том случае, когда на улице стоит засушливая погода. Именно этот период наиболее рационально использовать для борьбы с данным опасным дефектом.

Мучнистая роса на смородине народные средства. Народные средства против мучнистой росы смородины
- кальцинированная сода 100 г + 100 г мыльного раствора (100 г мыла на 100 г воды), обработка по листу;
- опрыскивание настоем луковой шелухи в качестве меры предупреждения и лечения начальной стадии распространения;
- опрыскивание раствором молочной сыворотки или кефира — молочнокислые бактерии сдерживают рост патогенной флоры. В качестве меры борьбы эффективной — сложно сказать, предупреждения и на начальной стадии дачники могут рискнуть.
- медно-мыльная жидкость: 25 г медного купороса на 25 г мыла, 1-3% водный раствор.
Борьба с мучнистой росой ведется комплексно – кроме химической обработки кустарников необходимо принимать следующие агротехнические меры:
- поливать кусты смородины только после того, как высохнет верхний слой почвы;
- убирать и сжигать осенью все растительные остатки;
- соблюдать севооборот;
- выращивать устойчивые к мучнистой росе сорта и гибриды;
- не перекармливать кусты смородины азотными удобрениями, особенно в период цветения;
- не забывать вносить калийно-фосфорные удобрения, повышающие сопротивляемость кустарников к заболеванию;
- проводить весеннюю санитарную обрезку кустарников;
- проводить профилактическую обработку кустарников фунгицидами ранней весной и после листопада.
Также в профилактических целях проводится обработка от мучнистой росы кустарников смородины химическими средствами – например, трех-четырехразовое опыление серой или троекратная обработка медным купоросом, бордоской жидкостью или другими препаратами подобного действия.
Мучнистая роса смородины. Мучнистая роса на смородине – народные меры борьбы
Препараты химического происхождения являются эффективными, но их можно использовать ограниченное количество раз, поэтому многие садоводы останавливаются на народных средствах. Если найдена мучнистая роса на смородине, меры борьбы могут быть такими:

- Хвощ полевой. Соедините 1 л воды и 100 г свежесобранного хвоща, и оставьте на сутки. После поставьте на плиту и кипятите в течение пары часов. Останется остудить и процедить. Готовый концентрат можно хранить в холодильнике неделю. Перед применением его разводят в пропорции 1:5. Проводят 3-4 обработки с перерывом в пять дней.
- Рапсовое масло. Хорошее народное средство от мучнистой росы на смородине готовится из 10 мг масла на 1 л воды. Важно использовать этот раствор в течение двух часов.
- Сыворотка. Справиться с грибком можно при помощи раствора, для которого смешивают часть кисломолочной сыворотки и 10 частей воды. Им три раза через каждые три дня проводите опрыскивания. В итоге на листьях образовывается пленка, предотвращающая дыхание грибов. Использовать сыворотку стоит только в сухую погоду.
- Коровяк. Если были найдены признаки мучнистой росы на смородине, меры борьбы могут включить обработку настоем, для которого возьмите 1/3 ведра коровьего навоза и долейте до полного объема воды. Оставьте на четыре дня, а затем разведите его в пропорции 1:10. Проводите обработку вечером, чтобы избежать ожогов.
- Пижма. На ранних стадиях весной поможет отвар пижмы, для которого возьмите 300 г свежей травы или 30 г сухой, и залейте ее ведром воды. Настаивайте в течение 24 ч., а после кипятите на минимальном огне два часа. Останется процедить, остудить и провести опрыскивание.
- Чеснок. Меры борьбы могут включать такое средство: соберите полведра чесночных стрелок или 250 г зубков, измельчите все и настаивайте в 10 л воды. После останется процедить и провести обработку, чтобы смоченными были обе стороны листьев.
- Марганцовка. Популярностью пользуется средство, приготовленное из 0,5 ч. ложки марганцовки и 10 л воды. Обработку рекомендуется проводить три раза через каждые пять дней.
- Горчица. Опрыскивание можно осуществлять при помощи раствора горчицы, для которого смешайте 2 ст. ложки сухого порошка и 10 л горячей воды. Когда жидкость остынет, проведите опрыскивание.
- Аспирин. В 600 мл воды растворите пару таблеток, а затем подготовленным средством опрыскайте кусты.
Борьба с мучнистой росой на смородине и крыжовнике.
Борьба с мучнистой росой смородины и крыжовника.
Мучнистая роса – одна из самых распространенных грибных болезней на садовом участке. Эта болезнь попала из Америки в Западную Европу еще в 1900 году и с тех пор широко распространилась. Если заранее не предотвращать поражение растений мучнистой росой, то болезнь может не только лишить огородника урожая, но и погубить сами растения.

Мучнистая роса - это споровый гриб. Он остается зимовать на пораженных частях растений и на листовом опаде. Считается, что массовым вспышкам заболевания способствует избыток азотных удобрений, тогда как фосфорные и калийные удобрения повышают устойчивость растений к мучнистой росе.
Наиболее опасно это заболевание для таких культур как смородина и крыжовник, хотя поражается ею и земляника, и некоторые другие растения.
Для уничтожения спор гриба, рекомендуют следующие способы борьбы:
1. До распускания почек ранней весной опрыскивать кусты и почву под ними медным купоросом (80 г на 10 л воды), а после цветения раствором кальцинированной соды (50 г на 10 л воды) с добавлением небольшого количества мыла для лучшего прилипания.
2. Однако не менее эффективен и совершенно безопасен другой метод: опрыскивание растений зольным раствором. 1 кг чистой просеянной сухой древесной золы разводят на ведро теплой воды. Раствор настаивают 3-7 дней при периодическом перемешивании. Последние сутки раствору дают отстояться и осторожно сливают его в другое ведро, не взбалтывая. В светлый раствор добавляют немного разведенного мыла для лучшего прилипания. Сразу же после приготовления раствора опрыскивают кусты смородины и крыжовника с помощью распылителя.
Опрыскивать растения следует со всех сторон, для того чтобы смочить листья с обеих сторон, а также обработать все побеги, не пропуская ни одного. Можно также обрабатывать кусты мягкой кистью. Опрыскивать растения лучше поздно вечером в сухую погоду. Операцию нужно провести три раза с интервалом в 1-2 дня. Оставшуюся густую массу золы нужно развести в ведре воды и ею полить землю под кустами. Очень полезно такую обработку провести не тогда, когда растение уже заболело, а профилактически ранней весной, поскольку болезнь чаще всего проявляется в конце мая-начале июня.
3. Обработка растений слабым раствором марганцовки (1,5 г на 10 л воды).
4. Смачивание листьев настоем коровяка (1 часть на 3 части воды), настаивают в течение 3 суток, процеживают, разбавляют в 3 раза и опрыскивают растение с интервалом 7-9 дней.
5. Обработать молочной сывороткой. 3 л молочной сыворотки смешать с 7 л Борьба с мучнистой расойводы и добавить 1 ч. л. медного купороса.
Если вы будете четко соблюдать все меры защиты и борьбы с мучнистой росой, то ваши растения будут здоровы и начнут хорошо плодоносить.
Черный налет на смородине. Махровость, угроза черной смородины
Реверсия черной смородины возникает при заражении вирусом – Riber virus 1. Вирус вызывает мутации на молекулярном уровне, приводя к генетическим поломкам. Как результат — кустарники черной смородины становятся бесплодными. Переносчик – почковый клещ

Фото 15
Особенности заболевания
Определить махровость наиболее удобно в период цветения. Внимательному осмотру подлежат листья и цветки. Для диагностики важны следующие характерные признаки:
- Изменения со стороны листьев
- форма листьев меняется. Они могут удлиняться, приобретать заостренные кончики;
- острые зубчики по краю листа становятся глубже и крупнее;
- появляются новые дополнительные вырезы;
- листья становятся асимметричными;
- вместо пяти лопастей формируется три;
- количество жилок сокращается;
- меняется окраска.
- Изменения соцветий
- цветки вытягиваются, приобретая удлиненную форму;
- лепестки приобретают фиолетовый, зеленый, грязно-розовый оттенок;
- соцветия пропадают, не сформировав ягод;
- цветение запаздывает;
- плодоношение сокращается, впоследствии до полного прекращения;
- смородина не имеет характерного особенного запаха.

Фото 16
Заболевание можно выявить при появлении цветоносов. Пораженные вирусом кусты – источник инфицирования здоровых растений. В связи с этим от них нужно избавляться. Опрыскивание препаратами не даст результата. Обрезка лишь продлит существование вируса и не избавит полностью от болезни. Заражение может продолжаться не один год. Причиной этому являются насекомые-переносчики вирусов. Это тля и смородиновый клещ.
Что можно сделать, как предотвратить
Так как лекарственных препаратов для лечения болезни не существует. И в случае заражения придется распрощаться с черной любимицей. Нужно создать максимально здоровые условия для выращивания, повысить иммунитет и невосприимчивость у кустарников. Основные правила:
- Единственный способ обезопасить здоровые кусты – выкорчевать и сжечь пораженные растения;
- Проводить борьбу с клещом переносчиком и тлей.
- Проводить подкормки фосфорными и калийными удобрения.
- Снизить использование азотных соединений – они ослабляют кустарники при превышении дозы.
- Проводить обработку Карбофосом после плодоношения.

Ягоды смородины побелели. Как бороться с белым налетом на листьях смородины
Появление на листьях смородины белого налёта, похожего на муку, говорит о том, что растение заболело мучнистой росой. Это коварное грибковое заболевание, избавиться от которого непросто, но можно. Для этого надо методично следовать рекомендациям, а лечение должно быть комплексным.
Причины появления
Грибок мучнистой росы подолгу живёт в почве и на опавших листьях. Ему не страшны морозы, он не погибает в холодные зимы. Если растение уже болело, а профилактические меры не предпринимались, то споры этого грибка дождутся благоприятных условий и атакуют смородину.

Активно действовать они начинают при температуре от 15° до 30°, и повышенной влажности. В жаркое засушливое лето заболевание затихает, но только на время.
Возбудители грибка переносятся ветром с соседних больных растений. Так же их можно перенести на садовых инструментах, на руках или перчатках.
Чаще всего заболевает смородина, при посадке которой не соблюдалось расстояние между кустами, если не проводится вовремя обрезка и кусты загущены. Недостаток солнца, тень большую часть дня – всё это усугубляет ситуацию.
Если вовремя не принять меры, грибок размножается, налёт меняет цвет с белого на серый, с чёрными вкраплениями. С листьев болезнь переходит на побеги и ягоды. На запущенных посадках от этого грибка кусты погибают за 1 – 3 года, в зависимости от погодных условий.
Что делать, чтобы вылечить смородину
В первую очередь, необходимо выявить степень заболевания. Если налёт только начинает появляться на листьях, достаточно обработать растение фунгицидами.
Если же кусты смородины покрываются налётом стремительно, а погода этому способствует, то меры должны быть радикальными:
- если растения посажены слишком близко друг к другу, некоторые кусты надо выкопать с комом земли и пересадить;
- провести обработку фунгицидами от мучнистой росы. Опрыскать надо обильно, всё растение, включая листву с двух сторон, ветви и ягоды. В некоторых случаях обработку проводят неоднократно;
- слой земли под кустами необходимо снять, засыпать новой плодородной почвой. Её следует также обработать средством от грибкового заболевания;
- сильно повреждённые ветви надо вырезать, оборвать больные листья.

В случае, если заболевание зашло слишком далеко, сберечь ягоды уже невозможно. Их следует собрать и выбросить. В данном случае цель принятых мер – сохранить растение, и предотвратить заболевание в будущем.
Чем опрыскать смородину от белого налета
В начальной стадии заболевания хорошо помогают народные средства.
- 50 гр. кальцинированной соды добавляют в ведро воды. Для липкости состава добавляют 2 столовые ложки любого мыла. Кусты обрабатывают 3 раза каждые 5 дней.
- 1 кг золы размешивают в ведре тёплой воды, процеживают. Опрыскивают 3 раза через день. Можно обсыпать кусты смородины сухой золой, достаточно густо.
- На ведро воды добавляют 5 гр. марганцовки. Смородину обрабатывают 3 раза с интервалом 7 дней.
- 1 литр сыворотки смешивают с 10 литрами воды. Частота обработок 3 раза, время между ними 10 дней.
Если с начала заболевания прошло 5 дней, народные средства не принесут ожидаемого эффекта. В этом случае стоит применять химические фунгициды.
Проверенным средством является медный купорос.
- В небольшом количестве горячей воды разводят 5 гр. медного купороса. На полведра воды добавляют 50 грамм мыла. Жидкий купорос медленно вливают в мыльный раствор, постоянно помешивая. Обработку проводят 3 раза через неделю.
В специализированных магазинах можно приобрести и другие фунгициды. Важно, чтобы на них было указано, что они действуют против мучнистой росы. К ним относятся такие препараты, как Топаз, Скор, Фундазол и другие. Приготовление раствора и обработку смородины проводят так, как указано в инструкции к препарату.
Профилактика заболевания
О профилактике следует продумать ещё до того, как высажены кусты смородины.
Желательно покупать сорта, которые устойчивы к мучнистой росе, приспособленные к выращиванию в вашем регионе.
Расстояние между кустами должно быть не меньше 1,5 метров, чтобы разросшиеся кусты могли проветриваться. Для этих же целей вырезают ветви, загущающие куст.
Регулярно проводят прополку и рыхление. Полив должен быть обильным, его частота зависит от погоды.
Весной и после сбора урожая необходимо проводить профилактическое опрыскивание кустов. Для профилактики лучше всего подходят народные средства.
Светлые пятна на листьях смородины. Химические средства
Наиболее эффективны против красных пятен химические препараты. Перед их использованием нужно ознакомиться с инструкцией. Обязательно соблюдают дозировки. Лучше всего проводить обработки до начала плодоношения или после уборки ягод.
Для лечения смородины готовят раствор. Его распыляют по листьям с помощью пульверизатора. Куст обрабатывают в пасмурный день или вечером, когда скроется солнце. Для защиты кожи и органов зрения надевают перчатки, очки или специальный костюм.
Если на смородине красные выпуклые пятна на листьях вызваны заболеваниями, то используют следующие средства:
- Бордоская смесь . Раствор на основе извести и сульфата меди. Действует против различных грибков. Средство хорошо прилипает к листьям. Для лечения красных пятен на смородине получают раствор концентрацией 1%. Обработки проводят не чаще одного раза в 14 дней;
- Хлорокись меди . Альтернатива бордоской жидкости. Имеет вид светло-зеленых кристаллов. Соединения меди оказывают губительное действие на микроорганизмы. При лечении смородины срок действия раствора составляет 10 – 12 дней;
- Абига-Пик . Фунгицид, предназначенный для лечения болезней смородины. На 10 л воды добавляют 40 мл суспензии. Рабочий раствор равномерно покрывает листья и не смывается дождем. Средство эффективно при низких температурах, способствует образованию хлорофилла, повышает иммунитет растений.
Важно! Химические препараты не используют, если до уборки ягод смородины остается менее 3 недель.
Если красные пузыри на листьях смородины вызвала галловая тля, то прибегают к инсектицидам:
- Актара . Кишечно-контактный препарат, который эффективен при низкой влажности и высокой температуре. Раствор не смывается водой. Опрыскивание проводят до появления бутонов или после снятия ягод. На 5 л воды необходим 1 г препарата. На куст готовят 1 л раствора. Срок ожидания составляет до 2 месяцев;
- Дитокс . Системный препарат для борьбы с тлей и другими насекомыми. Отличается высокой эффективностью. Вредитель погибает через несколько часов после обработки куста;
- Искра . Эффективное средство против разных насекомых. Действует даже в жаркую погоду. Препарат Искра безопасен для человека, животных, птиц и полезных насекомых. На 10 л воды добавляют 5 мл суспензии. Опрыскивание проводят при массовом появлении вредителя.
После обработки смородины от вредителей приступают к ее лечению. Кусты подкармливают минеральными комплексами. Весной вносят мочевину или другое удобрение на основе азота. Летом и осенью готовят раствор, содержащий суперфосфат и сернокислый калий.