На листьях груши ржавчина. Симптомы ржавчины
На листьях груши ржавчина. Симптомы ржавчины
Ржавчина опасна для груш, прежде всего, тем, что никак не проявляет себя, пока грибок прочно не обоснуется в клетках дерева. С момента заражения до появления симптомов заболевания может пройти несколько месяцев.

Пораженное ржавчиной грушевое дерево
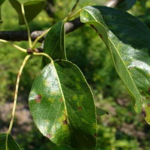
Первый признак заражения груши ржавчиной — появление на листьях желтовато-зеленых пятнышек, которые позднее изменяют окраску и становятся малиновыми или ржавыми (за что болезни и дали название). В центре каждого такого пятна можно разглядеть множество черных точек — здесь развивается грибница. Обратная сторона каждого пораженного листочка вскоре покрывается коричневыми бугорками — спорохранилищами. Вызревшие в них мелкие как пыль споры снова разносятся ветром по саду и далеко за его пределы, заражая другие деревья и кустарники. Заболевшие груши постепенно сбрасывают листья, и если не предпринять никаких мер по их оздоровлению, то они вовсе останутся без листвы, не говоря уже о плодах.

На листьях груши сформировались спорохранилища
У больных деревьев существенно снижается морозостойкость, а сильное заражение ржавчиной ослабляет груши настолько, что они могут погибнуть еще до наступления зимы. Особенно грибок опасен для молодых саженцев.
Обратите внимание! Ржавчина повреждает не только листья, часто грибок пробирается под кору плодовых деревьев. Поврежденные стволы и ветви груш становятся уязвимыми для других вредителей и паразитов.

Болезни груши листья. Болезни грушевых деревьев —, как лечить коричневые и черные пятна на листьях
Деревья в саду болеют часто, и главная сложность для вас – точно поставить диагноз, чтобы принять соответствующие меры. Листья груш могут желтеть, скручиваться, покрываться налетом уже ранней весной, грибки, вирусы, бактерии поражают также кору, плоды, ветки.
Из данного обзора вы узнаете об основных заболеваниях грушевых деревьев, их симптомах, признаках и способах лечения. Это позволит обнаруживать проблему на ранних стадиях и предпринимать соответствующие меры.
Грибки, инфекции чаще всего поражают растения в рамках одной группы и распространяются тоже между ними. Поэтому профилактические, лечебные обработки груш, яблонь, слив и косточковых деревьев рекомендуется проводить одновременно.
Болезни
Заболевания груш вызывают вирусы, бактерии и грибы. Те болезни, которые провоцируют грибы, проявляются в виде налетов, гнили, пятен. Возбудители распространяются с водой, ветром, могут их переносить насекомых.

Бактериальные поражения проявляются как черные, гнилые, маслянистые пятна, которые впоследствии вызывают отмирание определенных частей растений.
И бактерии, и грибы могут долгое время сохраняться на остатках растений, в почвах, поэтому важно своевременно чистить сады и сжигать листву, гнилые плоды.
Вирусные заболевания передаются с соком больной культуры через садовый инструмент и насекомых. Основные симптомы – кольцевая пятнистость, мозаичность, отмирание отдельных частей растений.
У больных груш падает урожайность, ухудшается качество плодов. По этой причине лечение обязательно.
Рассмотрим основные заболевания:
- – ее возбудителем является Fusicladium pirinum. Поражаются листья, на них образуются пятна оливкового оттенка с бархатным налетом, плоды начинают гнить, их кожура трескается. Если поражаются молодые плоды, происходит их деформация, груши вырастают асимметричными.
 - – ее вызывает грибковая культура Monilia fructigena. Проявляется заболевание как бурые пятна, со временем образуются наросты, в которых находятся споры грибов. Эти споры ветер может разносить по всему саду и, соответственно, заражать другие культуры. Мякоть утрачивает вкусовые качества, становится рыхлой.
 - – проявляется на листьях в виде черного налета, похожего на сажу. Вызывает заболевание грибковая культура, которая особенно любит слабые растения, страдающие от нехватки микроэлементов, питательных веществ. Со временем сажевый грибок переходит на плоды.
 - – ее развитие провоцирует паразит Erysiphales. Заболевание легко обнаруживается при визуальном осмотре, поскольку оно проявляется характерным бело-мучнистым налетом. Пораженные соцветия, листья высыхают и осыпаются на землю. Больше всего мучнистой росе подвержены молодые культуры.
 - – вызывается микроорганизмами Pucciniaceae. Сначала образуются светло-желтые, а потом оранжевые, достаточно темные пятна. Плоды в обязательном порядке следует утилизировать.
 - – первые признаки заболевания появляются во время цветения, когда на верхней стороне нижних листов появляются оливковые пятна. Потом они желтеют, покрываются налетом, споры гриба начинают поражать соседние растения и листья. Со временем все зеленые части высыхают.
 - – проявляется в виде белых и зеленых пятен на плодах, листьев.
 
Как спасти грушу?
В саду растет молодая груша. Плодоносила она два года хорошо. Этим же летом на двух ветвях листья начали буреть, а на третьей хотя листья зеленые, но плоды нехорошие. Буду очень благодарен, если расскажете, чем заболела груша и как ее лечить.
И еще. У груши замедлился рост, внесли комплексное удобрение и коровяк. Правильно сделали?
С уважением, Александр Федорович.
У груши, как у многих плодовых деревьев, большое количество болезней и вредителей. Поэтому сразу определить, что произошло с вашей грушей, не очень просто. Но можно предположить следующие виды поражения.
Пятнистость листьев. При данной болезни на листьях образуются различные пятна, зачастую сливающиеся. Обычно на них имеются мелкие черноватые точки. Плоды, прилегающие к поврежденным листьям, пятен не имеют. А сами листья впоследствии засыхают. Пятнистость вызывается грибными болезнями. Ее возбудители зимуют главным образом на опавших листьях.
Буроватость листьев. Болезнь проявляется в виде мелких бурых пятен, вызывая побурение и усыхание листьев. Иногда на их верхней стороне, в центре каждого пятна, образуются бугорки — спороношение гриба-возбудителя.
Меры борьбы: сжигание опавших листьев, перекопка почвы в приствольных кругах и междурядиях. Ранневесенняя обработка (до распускания почек) почвы под деревьями минеральными удобрениями (7-проц. мочевиной, 10-проц. аммиачной селитрой, 70-проц. хлористым калием, 10-проц. нитрофоской). Несколько раз в течение периода вегетации обработать фунгицидами. При этом обязательно используйте бордоскую жидкость или другие заменители, в состав которых входит медь. В первый раз так называемое “голубое” опрыскивание в начале распускания почек — 3-4-процентной бордоской жидкостью, во второй — после окончания цветения уже 1-процентной, в третий — через 2-3 недели после цветения.
Возможно, деревце оккупировал грушевый галловый клещ (очень мелкое насекомое). Зимуют взрослые клещи под чешуйками почек. Ранней весной до их распускания самки откладывают яйца. В период распускания листьев личинки превращаются во взрослых клещей, которые внедряются в ткань листа. В этих местах образуются вздутия (галлы), вначале желто-бурые, затем черные. Против галлового клеща требуются обработки более сильными инсектицидами и фунгицидами.
Для лучшего развития груше требуется хорошо освещенное, ровное и сухое место. Почвы она предпочитает нейтральные и слегка кисловатые, богатые питательными веществами, без близкого залегания грунтовых вод. Молодые саженцы боятся морозов, поэтому их нужно утеплять на зиму.
Что касается внесения комплексного удобрения и коровяка, то для роста груше они требуются, только вот коровяк должен быть перепревшим.
Болезни груши картинки. Как нужно бороться с болезнями садовых груш?
Для начала ознакомьтесь с описанием и способами лечения различных болезней груш.
Бурая пятнистость груши.


Возбудитель — гриб Phyllosticta pirina. На листьях появляются бурые, округлые или неправильной формы пятна, которые часто сливаются между собой. Признаки этой болезни груш напоминают ожоги. Со временем сформировываются мелкие точечные бурые плодовые тела зимующей стадии. Листья желтеют и преждевременно опадают, что сказывается на вызревании древесины побегов и их морозоустойчивости. При описании этой болезни груш обязательно нужно отметить, что инфекция сохраняется в опавших листьях.
Меры борьбы. Опрыскивание деревьев весной до цветения и сразу после его окончания 1 %-ой бордоской смесью. Такжедля борьбы с этой болезнью груш можно опрыскивать деревья препаратами ХОМ и Абига-Пик. Обязателен сбор и удаление опавших листьев.
Серая гниль груши.
Возбудитель — гриб Botrytis cinerea.
Как видно на фото, признаком этой болезни груш является появление крупных бурых пятен без окаймления на листьях:


В годы с холодным и дождливым летом такие пятна появляются и на плодах, которые буреют и усыхают. При обилии осадков развивается дымчато-серое спороношение гриба. Со временем грибница подсыхает, и в ней сформировываются многочисленные мелкие округлые плодовые тела черного цвета. В сухую погоду пятна на листьях растрескиваются и выпадают, а плоды буреют и засыхают. Инфекция сохраняется плодовыми телами на опавших листьях и плодах и мицелием в коре побегов.
Меры борьбы. Использование здорового посадочного материала, соблюдение агротехники, сбор и уничтожение растительных остатков, прореживание загущенных посадок. Для лечения этой болезни груш эффективно опрыскивание деревьев препаратом скор или раек.
Парша груши.
Возбудитель — гриб Venturia pirina. На листьях с нижней стороны появляются темно-зеленые, постепенно буреющие бархатистые пятна.
Посмотрите на фото – при этой болезни листья груш желтеют и преждевременно опадают:


При заражении весной и в начале лета пятна крупные, позднее, при повторных перезаражениях — мелкие, малозаметные. Споры перезаражают завязи, молодые побеги, плоды. На побегах кора покрывается мелкими пузыревидными вздутиями, которые позднее разрываются под напором массы спор. Кора становится шероховатой и шелушится. Поражаются также черешки листьев, плодоножки и цветки, а плоды покрываются пятнами и становятся непригодными к употреблению. При массовом распространении парши снижается зимостойкость деревьев. Развитию болезни благоприятствует влажная холодная весна и обилие осадков летом. Гриб поражает только грушу. Инфекция сохраняется в растительных остатках.
Меры борьбы. Чтобы бороться с этой болезнью груш как можно более эффективно, необходимо собирать и уничтожать (возможно компостировать) опавшие пораженные листья. Опрыскивания деревьев, начиная с фазы зеленого конуса и при необходимости в летнее время, учитывая сроки ожидания, одним из препаратов: 1%-ная бордоская смесь, ХОМ, Абига-Пик, скор, раёк. Проще ориентироваться по срокам: до цветения и сразу после цветения.
Плодовая гниль груши.


Возбудитель – Monilia fructigena. Гниль развивается на плодах в виде небольших бурых увеличивающихся пятен. Постепенно плоды светлеют, размещаются и усыхают. На их поверхности развиваются светло-бурые подушечки спороношения, расположенные концентрическими кругами, споры которых постоянно заражают соседние плоды.
Распространению инфекции способствуют насекомые и затяжная холодная весна с обилием осадков. Инфекция сохраняется в плодах, а также в тканях коры однолетних побегов.
Меры борьбы. Опрыскивание деревьев при распускании почек и сразу после окончания цветения бордоской смесью или препаратами ХОМ, Абига-Пик. При сильном заражении этой болезнью опрыскивание садовых груш повторяют осенью после сбора и уничтожения плодов.
Посмотрите фото болезней груш, описание которых представлено выше:




Далее вы сможете увидеть фото вредителей груш и узнать о методах борьбы с ними.