Болезни и вредители груши. Как нужно бороться с болезнями садовых груш?
Болезни и вредители груши. Как нужно бороться с болезнями садовых груш?
Для начала ознакомьтесь с описанием и способами лечения различных болезней груш.
Бурая пятнистость груши.


Возбудитель — гриб Phyllosticta pirina. На листьях появляются бурые, округлые или неправильной формы пятна, которые часто сливаются между собой. Признаки этой болезни груш напоминают ожоги. Со временем сформировываются мелкие точечные бурые плодовые тела зимующей стадии. Листья желтеют и преждевременно опадают, что сказывается на вызревании древесины побегов и их морозоустойчивости. При описании этой болезни груш обязательно нужно отметить, что инфекция сохраняется в опавших листьях.
Меры борьбы. Опрыскивание деревьев весной до цветения и сразу после его окончания 1 %-ой бордоской смесью. Такжедля борьбы с этой болезнью груш можно опрыскивать деревья препаратами ХОМ и Абига-Пик. Обязателен сбор и удаление опавших листьев.
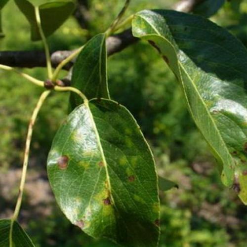
Серая гниль груши.
Возбудитель — гриб Botrytis cinerea.
Как видно на фото, признаком этой болезни груш является появление крупных бурых пятен без окаймления на листьях:


В годы с холодным и дождливым летом такие пятна появляются и на плодах, которые буреют и усыхают. При обилии осадков развивается дымчато-серое спороношение гриба. Со временем грибница подсыхает, и в ней сформировываются многочисленные мелкие округлые плодовые тела черного цвета. В сухую погоду пятна на листьях растрескиваются и выпадают, а плоды буреют и засыхают. Инфекция сохраняется плодовыми телами на опавших листьях и плодах и мицелием в коре побегов.
Меры борьбы. Использование здорового посадочного материала, соблюдение агротехники, сбор и уничтожение растительных остатков, прореживание загущенных посадок. Для лечения этой болезни груш эффективно опрыскивание деревьев препаратом скор или раек.
Парша груши.
Возбудитель — гриб Venturia pirina. На листьях с нижней стороны появляются темно-зеленые, постепенно буреющие бархатистые пятна.
Посмотрите на фото – при этой болезни листья груш желтеют и преждевременно опадают:


При заражении весной и в начале лета пятна крупные, позднее, при повторных перезаражениях — мелкие, малозаметные. Споры перезаражают завязи, молодые побеги, плоды. На побегах кора покрывается мелкими пузыревидными вздутиями, которые позднее разрываются под напором массы спор. Кора становится шероховатой и шелушится. Поражаются также черешки листьев, плодоножки и цветки, а плоды покрываются пятнами и становятся непригодными к употреблению. При массовом распространении парши снижается зимостойкость деревьев. Развитию болезни благоприятствует влажная холодная весна и обилие осадков летом. Гриб поражает только грушу. Инфекция сохраняется в растительных остатках.
Меры борьбы. Чтобы бороться с этой болезнью груш как можно более эффективно, необходимо собирать и уничтожать (возможно компостировать) опавшие пораженные листья. Опрыскивания деревьев, начиная с фазы зеленого конуса и при необходимости в летнее время, учитывая сроки ожидания, одним из препаратов: 1%-ная бордоская смесь, ХОМ, Абига-Пик, скор, раёк. Проще ориентироваться по срокам: до цветения и сразу после цветения.
Плодовая гниль груши.


Возбудитель – Monilia fructigena. Гниль развивается на плодах в виде небольших бурых увеличивающихся пятен. Постепенно плоды светлеют, размещаются и усыхают. На их поверхности развиваются светло-бурые подушечки спороношения, расположенные концентрическими кругами, споры которых постоянно заражают соседние плоды.
Распространению инфекции способствуют насекомые и затяжная холодная весна с обилием осадков. Инфекция сохраняется в плодах, а также в тканях коры однолетних побегов.
Меры борьбы. Опрыскивание деревьев при распускании почек и сразу после окончания цветения бордоской смесью или препаратами ХОМ, Абига-Пик. При сильном заражении этой болезнью опрыскивание садовых груш повторяют осенью после сбора и уничтожения плодов.
Посмотрите фото болезней груш, описание которых представлено выше:




Далее вы сможете увидеть фото вредителей груш и узнать о методах борьбы с ними.
Болезни груши скручиваются листья. Почему на груше скручиваются листья и чем обработать дерево
Красавица-груша, не так давно произраставшая только в южных регионах, сегодня с успехом украшает сады даже в северных широтах. Но в силу своего южного происхождения, эта культура часто подвергается заболеваниям, борьба с которыми становится первостепенной задачей садовода. Львиная доля недугов проявляется на листве – листья груши закручиваются в лодочку. Вот об этой напасти мы и будем говорить сегодня.
Основные причины
Если листья у груши скручиваются в трубочку, а впоследствии чернеют и опадают, причин, отчего так происходит, может быть несколько:
- дереву не хватает питательных веществ;
- оно испытывает недостаток влаги;
- растение поражено грибковой или бактериальной инфекцией;
- груша стала жертвой вируса;
- дерево подверглось атаке вредителей.
Чтобы наверняка понять, почему листики скручиваются и болеют, понадобится внимательный осмотр дерева. В отдельных случаях ситуацию может спасти обычная обработка защитным составом, но иногда требуется кардинальное решение, вплоть до вырубки груши.
Недостаток питания (в частности, кальция) выражается в потемнение краев листочка, который начинает скручиваться с верхушки. Иногда молодым деревьям не хватает бора, тогда листья чернеют и сворачиваются, а молодые ветки останавливаются в развитии. Если дереву не хватает магния или фосфора, страдают в первую очередь нижние листочки: они мельчают, закручиваются и опадают. А когда плодовой культуре остро недостает калия, листва приобретает как бы гофрированный вид, на поверхности появляются бурые полосы, а сами листочки закручиваются.
Иногда бывает сложно отличить проявления недостатка микроэлементов от развития инфекционных заболеваний. Здесь вас должно насторожить отсутствие положительной динамики после проведения листовой подкормки.
К вирусам относят такой недуг, как бороздчатость ствола: на дереве появляются трещины, сквозь которые патогенная микрофлора проникает внутрь дерева, нарушая естественные обменные процессы.
Бактериальная микрофлора поступает в растение вместе с дождевой водой, проникая внутрь сквозь имеющиеся механические повреждения на поверхности ствола. В этом случае не только листья заворачиваются и болеют, увядают завязи, а молодые плоды покрываются бурыми пятнами. Примечательно, что взрослое дерево, пораженное бактериальной инфекцией, выглядит как обгоревшее. А если заражается саженец младше 2–3 лет, он неминуемо погибает.
Еще один бич плодовых деревьев – грибок во всех его проявлениях. О его появлении свидетельствуют характерные бурые пятна на поверхности листьев, постепенно распространяющиеся на плоды.
И, разумеется, насекомые. Результаты их жизнедеятельности также сказываются на состоянии листьев не самым лучшим образом: так, от набегов колоний тли они сворачиваются в бесформенный комочек. Это светло-салатовое миниатюрное насекомое способно полностью лишить взрослое дерево соков.
Лечение дерева
Что делать, если на вашей любимой груше скручиваются листья? Чем обработать дерево, чтобы спасти от гибели? Порядок ваших действий будет напрямую зависеть от выявленных причин, по которым свернулись листья. Ранней весной нужно обработать сад бордоской жидкостью. Можно в несколько этапов, чтобы уничтожить уже имеющихся паразитов и патогенную микрофлору, а также предупредить развитие новых поколений. Все скрутившиеся листочки следует полностью удалить, чтобы они не распространяли инфекцию дальше. Если признаки заболевания успели распространиться и на ветки, от них также следует избавиться.
Для борьбы с грибковыми инфекциями эффективны минеральные удобрения, используемые для листовых подкормок – мочевина, хлористый калий. На протяжении лета можно периодически обрабатывать растение смесью инсектицида и фунгицида, например, «Актеллик» и «Скор». Не последнюю роль в борьбе с недугами играет регулярная омолаживающая обрезка.
Не забывайте также убирать всю опавшую листву перед зимовкой.
Профилактика
Но лучше, когда признаков болезни еще нет, позаботиться о профилактике, и не допустить развития недуга. Чтобы листья не сворачивались, достаточно выполнять несложный набор действий:
- обрабатывать грушу специальными защитными препаратами;
- проводить регулярную обрезку;
- не нарушать режим полива и подкормок;
- убирать опавшую осенью листву;
- избавляться от дегенеративных завязей и плодов;
- каждую весну белить ствол.
Болезни груши на листьях. Болезни плодов груши
Некоторые болезни груши сначала атакуют плод, и только на поздней стадии развития переходят на само растение. Своевременная обработка сада позволит спасти будущий урожай и предотвратить заражение других деревьев.

Парша
Грибковое заболевание, которое вызвано грибом Fusicladium pirinum. Изначально споры проявляют себя на нижней стороне листа. Они выглядят как пятна оливкового цвета. Впоследствии болезнь переходит на плоды: появляются темные пятна с гнилью, трескается кожура , происходит деформация формы, теряются вкусовые качества.
Профилактика заключается в троекратной обработке бордоской смесью (1%). Первое опрыскивание проводится после распускания листьев, второе по бутонам розового цвета, третье – по завершении цветения.

Чтобы избежать заражения, крону необходимо своевременно обрезать , снижая ее загущение. Беспрепятственный доступ кислорода в большинстве случаев спасает от грибка. Также необходимо расчищать землю вокруг ствола, убирать опавшие плоды .
Если произошло заражение, то опавшую листву сжигают, после чего проводится обработка препаратом Днок. Также вылечить растение можно, воспользовавшись пастой Нитрафена. Хорошо борется с возбудителем средство Скор. Использование веществ выполняется согласно указанной на упаковке инструкции.
Плодовая гниль
Определить болезнь груши можно по признакам, представленным на фото. Это пятна бурого цвета, расположенные на плодах. Через некоторое время они переходят в стадию наростов, содержащих споры гриба-возбудителя – Monilia fructigena. Они перемещаются по всем деревьям сада и приводят к тому, что плоды становятся мягкими, теряют свой вкус и вид.

Одна часть урожая осыпается не созрев, а вторая — остается висеть на ветках, постепенно превращаясь в сушку. Именно оставшиеся плоды, а также неубранные осыпавшиеся, становятся причиной повторного заражения в следующем сезоне. Пик заражения приходится на вторую половину лета, когда начинается созревание урожая, а погода стоит влажная и теплая.
В качестве профилактики следует:
- Вовремя выполнять санитарную обрезку дерева.
- Исключить нахождение на участке заборов и прочих сооружений, которые препятствуют свободной циркуляции воздуха.
- Собирать и уничтожать зараженные плоды, не давая им оставаться на дереве или вблизи него.

Вначале и в конце сезона проводится обработка при помощи бордоской смеси (1%). Альтернатива – препарат ХОМ. Также в эти периоды необходимо выполнить опрыскивание известковым молоком (берется 1 кг извести и растворяется в 10 литрах воды).
Кроме того, против болезней груши помогают следующие препараты, совмещенные в одной емкости: Актофит, Экоберин, Здоровый сад, Байкал. Они используются в качестве внекорневой подкормки , которая может проводиться в течение всего летнего периода. Такая смесь положительно сказывается на иммунитете растений, что, в свою очередь, обеспечивает защиту от бактерий и грибов.
Серая гниль
Заболевание распространено в нечерноземной полосе, но встречается реже, чем плодовая гниль. Проявляется на ранней стадии развития плода. Симптомы схожи с упомянутым заболеванием, но все же имеют определенные отличительные черты.
Определить болезнь груши можно по следующим признакам: на плоде образуется гнилостное пятно небольшого размера, которое в скором времени увеличивается и захватывает всю площадь. Дальше на груше появляются споровые образования серого цвета, диаметр которых составляет 0,5-1,5 мм.

В итоге плод сморщивается, высыхает, падает на землю или продолжает висеть на ветке. В некоторых случаях груша имеет выраженный сизый оттенок. Серая гниль поражает не только плоды, но и соцветия, что приводит к монилиальному ожогу. Цветки буреют и засыхают, затем то же самое происходит с расположенными рядом листьями и побегами.

Методы профилактики аналогичны тем, что представлены для плодовой гнили. Лечение производится бордоской смесью (1%) или хлорокисью меди из расчета 50 г на 10 литров воды. Также применяются фугициды, которые используются для лечения парши.
Сажистый грибок
Если листья у груши чернеют , то это верный признак появления сажистого грибка. Он проявляет себя во второй половине сезона: на листьях и плодах появляется налет черного цвета, который сильно похож на сажу. Первыми жертвами заболевания становятся груши со слабым иммунитетом, страдающие от недостатка питательных веществ в почве.
Питается грибок сахаристыми выделениями, которые производят насекомые вредители, например, тля. Споры легко переносят зимние морозы, укрываясь под корой или в опавшей листве.

В качестве профилактических мероприятий проводится опрыскивание препаратом Калипсо. Он же используется для травли вредителей. Если инсектицид применять не хочется, то можно попробовать справиться с проблемой фугицидом Фитоверм – он способен подавить рост и дальнейшее размножение грибка.
Если высадка груши только предполагается, то рекомендуется выбрать сорт Кафедральная. Он редко поддается заражению, поскольку обладает хорошим иммунитетом к сажистому грибку.